Acalypha rhomboidea: taxon details and analytics
- Domain
- Kingdom
- Plantae
- Phylum
- Tracheophyta
- Class
- Magnoliopsida
- Order
- Malpighiales
- Family
- Euphorbiaceae
- Genus
- Acalypha
- Species
- Acalypha rhomboidea
- Scientific Name
- Acalypha rhomboidea
Summary description from Wikipedia:
Acalypha rhomboidea
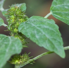
Acalypha rhomboidea (common three-seeded mercury, rhombic three-seeded-mercury, rhomboid mercury, copperleaf, rhombic copper-leaf, three-seeded-mercury, ricinelle rhomboide, diamond threeseed mercury; syn. Acalypha urticifolia Raf., Acalypha virginica L. forma intermedia Millsp., Acalypha virginica L. var. rhombifolia Riddell, Acalypha virginica L. var. rhomboidea (Raf.) Cooperr.) is a plant in the spurge family, Euphorbiaceae.
The species name rhomboidea means "diamond-shaped", and describes the leaves.
...Acalypha rhomboidea in languages:
- English
- common copperleaf
- English
- three-seeded mercury
- French
- ricinelle rhomboïde
Images from inaturalist.org observations:
We recommend you sign up for this excellent, free service.
Parent Taxon
Sibling Taxa
- Acalypha abingdonii
- Acalypha acapulcensis
- Acalypha adenostachya
- Acalypha aliena
- Acalypha allenii
- Acalypha alnifolia
- Acalypha alopecuroidea
- Acalypha ambigua
- Acalypha amblyodonta
- Acalypha amentacea
- Acalypha anadenia
- Acalypha andringitrensis
- Acalypha anemioides
- Acalypha angatensis
- Acalypha angustata
- Acalypha angustifolia
- Acalypha aronioides
- Acalypha arvensis
- Acalypha australis
- Acalypha bisetosa
- Acalypha boinensis
- Acalypha botteriana
- Acalypha brachystachya
- Acalypha brasiliensis
- Acalypha brevicaulis
- Acalypha burquezii
- Acalypha californica
- Acalypha capensis
- Acalypha caperonioides
- Acalypha capillipes
- Acalypha capitata
- Acalypha cardiophylla
- Acalypha carrascoana
- Acalypha caturus
- Acalypha ceraceopunctata
- Acalypha chamaedrifolia
- Acalypha chiapensis
- Acalypha chocoana
- Acalypha ciliata
- Acalypha cincta
- Acalypha cinerea
- Acalypha claoxyloides
- Acalypha clutioides
- Acalypha coleispica
- Acalypha communis
- Acalypha comonduana
- Acalypha confertiflora
- Acalypha conspicua
- Acalypha costaricensis
- Acalypha crenata
- Acalypha cuneata
- Acalypha cupricola
- Acalypha cuspidata
- Acalypha dalzellii
- Acalypha deamii
- Acalypha delgadoana
- Acalypha depauperata
- Acalypha depressinerva
- Acalypha dictyoneura
- Acalypha dikuluwensis
- Acalypha dioica
- Acalypha diversifolia
- Acalypha ecklonii
- Acalypha elizabethiae
- Acalypha erecta
- Acalypha eremorum
- Acalypha erubescens
- Acalypha euphrasiostachys
- Acalypha filiformis
- Acalypha filipes
- Acalypha fimbriata
- Acalypha firmula
- Acalypha flagellata
- Acalypha flavescens
- Acalypha fournieri
- Acalypha fragilis
- Acalypha fredericii
- Acalypha fruticosa
- Acalypha gaumeri
- Acalypha gentlei
- Acalypha gigantesca
- Acalypha glabrata
- Acalypha glandulifolia
- Acalypha glandulosa
- Acalypha gracilens
- Acalypha gracilis
- Acalypha grandibracteata
- Acalypha grandis
- Acalypha grisea
- Acalypha grisebachiana
- Acalypha guatemalensis
- Acalypha guineensis
- Acalypha gummifera
- Acalypha haploclada
- Acalypha havanensis
- Acalypha hellwigii
- Acalypha herzogiana
- Acalypha hispida
- Acalypha hontauyuensis
- Acalypha hypogaea
- Acalypha inaequilatera
- Acalypha indica
- Acalypha infesta
- Acalypha insulana
- Acalypha integrifolia
- Acalypha intermedia
- Acalypha jerzedowskii
- Acalypha karwinskii
- Acalypha katharinae
- Acalypha laevigata
- Acalypha lagascana
- Acalypha lagopus
- Acalypha lanceolata
- Acalypha lancetillae
- Acalypha langiana
- Acalypha laxiflora
- Acalypha lepinei
- Acalypha leptoclada
- Acalypha leptopoda
- Acalypha liebmanniana
- Acalypha lignosa
- Acalypha lindeniana
- Acalypha longipes
- Acalypha longispica
- Acalypha longispicata
- Acalypha longistipularis
- Acalypha lovelandii
- Acalypha lyonsii
- Acalypha macrostachya
- Acalypha macrostachyoides
- Acalypha malabarica
- Acalypha matsudae
- Acalypha melochiifolia
- Acalypha membranacea
- Acalypha mexicana
- Acalypha michoacanensis
- Acalypha microcephala
- Acalypha microphylla
- Acalypha mollis
- Acalypha monococca
- Acalypha monostachya
- Acalypha mortoniana
- Acalypha muelleriana
- Acalypha multicaulis
- Acalypha multispicata
- Acalypha nana
- Acalypha nemorum
- Acalypha neomexicana
- Acalypha neptunica
- Acalypha nervulosa
- Acalypha novoguineensis
- Acalypha nubicola
- Acalypha oblancifolia
- Acalypha obscura
- Acalypha ocymoides
- Acalypha oligantha
- Acalypha oligodonta
- Acalypha oreopola
- Acalypha ornata
- Acalypha ostryaefolia
- Acalypha ostryifolia
- Acalypha padifolia
- Acalypha palmeri
- Acalypha pancheriana
- Acalypha paniculata
- Acalypha papillosa
- Acalypha parvula
- Acalypha peduncularis
- Acalypha pendula
- Acalypha persimilis
- Acalypha peruviana
- Acalypha phleoides
- Acalypha phyllonomifolia
- Acalypha pilosa
- Acalypha pippenii
- Acalypha platyphylla
- Acalypha plicata
- Acalypha pohliana
- Acalypha poiretii
- Acalypha polymorpha
- Acalypha polystachya
- Acalypha portoricensis
- Acalypha pseudalopecuroides
- Acalypha pseudovagans
- Acalypha pubiflora
- Acalypha pulogensis
- Acalypha punctata
- Acalypha purpurascens
- Acalypha purpusii
- Acalypha pygmaea
- Acalypha radians
- Acalypha radicans
- Acalypha radula
- Acalypha rafaelensis
- Acalypha raivavensis
- Acalypha rapensis
- Acalypha rhombifolia
- Acalypha rhomboidea
- Acalypha rubrinervis
- Acalypha rubroserrata
- Acalypha sabulicola
- Acalypha salvadorensis
- Acalypha salviifolia
- Acalypha saxicola
- Acalypha schiedeana
- Acalypha schlechtendaliana
- Acalypha schlumbergeri
- Acalypha schreiteri
- Acalypha segetalis
- Acalypha seleriana
- Acalypha senilis
- Acalypha sericea
- Acalypha sessilifolia
- Acalypha setosa
- Acalypha siamensis
- Acalypha skutchii
- Acalypha sonderiana
- Acalypha spectabilis
- Acalypha stachyura
- Acalypha stenoloba
- Acalypha stenophylla
- Acalypha stricta
- Acalypha subcastrata
- Acalypha subintegra
- Acalypha subterranea
- Acalypha subtomentosa
- Acalypha subviscida
- Acalypha suirenbiensis
- Acalypha swallowensis
- Acalypha synoica
- Acalypha tacanensis
- Acalypha tenuicauda
- Acalypha tomentosa
- Acalypha trachyloba
- Acalypha tricholoba
- Acalypha trilaciniata
- Acalypha triloba
- Acalypha umbrosa
- Acalypha vagans
- Acalypha vallartae
- Acalypha vellamea
- Acalypha velutina
- Acalypha verbenacea
- Acalypha veronicoides
- Acalypha villicaulis
- Acalypha villosa
- Acalypha virginica
- Acalypha wigginsii
- Acalypha wilderi
- Acalypha wilkesiana
- Acalypha wilmsii
Top Observation Places
- Sherbrooke
- Fort Wayne
- Rochester
- Columbia
- New Orleans
- Iowa City
- Harrisonburg
- Norfolk
- Chesapeake
- Portsmouth
- Asheville
- Sterling Heights
- Kingston
- Pawtucket
- Athens
- Columbia
- Bloomington
- Knoxville
- Nashua
- Lexington
- Greenville
- Grand Rapids
- Mississauga
- Waterloo
- Champaign
- Ann Arbor
- Trenton
- London
- Schenectady
- Richmond
- Niagara Falls
- Nashville
- Chattanooga
- East Chattanooga
- Lewisville
- Flower Mound
- North Richland Hills
- Grapevine
- Livonia
- Westland
- Farmington Hills
- Dearborn Heights
- Buffalo
- Amherst
- Madison
- Toronto
- Richmond Hill
- Willowdale
- Willowdale East
- Pittsburgh































































































































































