Acanthochromis polyacanthus: taxon details and analytics

Domain
Kingdom
Animalia
Phylum
Chordata
Class
Actinopterygii
Order
Cichliformes
Family
Pomacentridae
Genus
Acanthochromis
Species
Acanthochromis polyacanthus
Scientific Name
Acanthochromis polyacanthus

Summary description from Wikipedia:

Spiny chromis

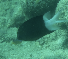
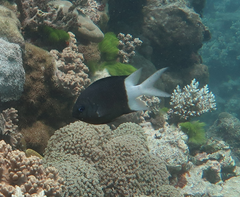
The spiny chromis (Acanthochromis polyacanthus) is a species of damselfish from the western Pacific. It is the only member of the genus Acanthochromis.

...
 

Acanthochromis polyacanthus in languages:

Danish
Tornet safirfisk
English
Spiny Chromis
English
Spiny Puller
English
Spiny-tail Puller
English
Spotty-tail
French
Chromis à épines
German
Schwalbenschwanz-Riffbarsch
Italian
Castagnola spinosa
Portuguese
Donzela-de-espinho

Images from inaturalist.org observations:

We recommend you sign up for this excellent, free service.

Acanthochromis polyacanthus
©leithallb, some rights reserved (CC-BY-NC)
Acanthochromis polyacanthus
©Pete Woodall, some rights reserved (CC-BY-NC)
Acanthochromis polyacanthus
©Pete Woodall, some rights reserved (CC-BY-NC)
Acanthochromis polyacanthus
©fubberpish, some rights reserved (CC-BY-NC)
Acanthochromis polyacanthus
©fubberpish, some rights reserved (CC-BY-NC)
Acanthochromis polyacanthus
©fubberpish, some rights reserved (CC-BY-NC)
Acanthochromis polyacanthus
©brieaspasia, some rights reserved (CC-BY-NC)
Acanthochromis polyacanthus
©dawnborchardt, some rights reserved (CC-BY-NC)
Acanthochromis polyacanthus
©dawnborchardt, some rights reserved (CC-BY-NC)
Acanthochromis polyacanthus
©dawnborchardt, some rights reserved (CC-BY-NC)
Acanthochromis polyacanthus
©Harry Rosenthal, some rights reserved (CC-BY-NC)
Acanthochromis polyacanthus
©mmike78, some rights reserved (CC-BY-NC)
Acanthochromis polyacanthus
©mmike78, some rights reserved (CC-BY-NC)
Acanthochromis polyacanthus
©mmike78, some rights reserved (CC-BY-NC)
Acanthochromis polyacanthus
©Francois Libert, some rights reserved (CC-BY-NC-SA)
Acanthochromis polyacanthus
©Pete Woodall, some rights reserved (CC-BY-NC)
Acanthochromis polyacanthus
©mmike78, some rights reserved (CC-BY-NC)
Acanthochromis polyacanthus
©mmike78, some rights reserved (CC-BY-NC)
Acanthochromis polyacanthus
©Tim, some rights reserved (CC-BY)
Acanthochromis polyacanthus
©Tim, some rights reserved (CC-BY)
Acanthochromis polyacanthus
©Tim, some rights reserved (CC-BY)
Acanthochromis polyacanthus
©Andrew Harvey, some rights reserved (CC-BY)
Acanthochromis polyacanthus
©Adam Smith, some rights reserved (CC-BY-NC)
Acanthochromis polyacanthus
©Matt Wilkie, some rights reserved (CC-BY-NC)
Acanthochromis polyacanthus
©Francois Libert, some rights reserved (CC-BY-NC-SA)
Acanthochromis polyacanthus
©Francois Libert, some rights reserved (CC-BY-NC-SA)
Acanthochromis polyacanthus
©Konrad Szylar, some rights reserved (CC-BY-NC)
Acanthochromis polyacanthus
©Konrad Szylar, some rights reserved (CC-BY-NC)
Acanthochromis polyacanthus
©Andrew Allen, some rights reserved (CC-BY)
Acanthochromis polyacanthus
©Pete Woodall, some rights reserved (CC-BY-NC)
Acanthochromis polyacanthus
©Peter, some rights reserved (CC-BY-NC)
Acanthochromis polyacanthus
©Pete Woodall, some rights reserved (CC-BY-NC)
Acanthochromis polyacanthus
©Adam Smith, some rights reserved (CC-BY-NC)
Acanthochromis polyacanthus
©Andrew Allen, some rights reserved (CC-BY)
Acanthochromis polyacanthus
©Matt Wilkie, some rights reserved (CC-BY-NC)
Acanthochromis polyacanthus
©Pete Woodall, some rights reserved (CC-BY-NC)
Acanthochromis polyacanthus
©Adam Smith, some rights reserved (CC-BY-NC)
Acanthochromis polyacanthus
©Adam Smith, some rights reserved (CC-BY-NC)
Acanthochromis polyacanthus
©Guillaume Thomas Doerig, some rights reserved (CC-BY-NC)
Acanthochromis polyacanthus
©fubberpish, some rights reserved (CC-BY-NC)
Acanthochromis polyacanthus
©fubberpish, some rights reserved (CC-BY-NC)
Acanthochromis polyacanthus
©fubberpish, some rights reserved (CC-BY-NC)
Acanthochromis polyacanthus
©fubberpish, some rights reserved (CC-BY-NC)
Acanthochromis polyacanthus
©fubberpish, some rights reserved (CC-BY-NC)
Acanthochromis polyacanthus
©leithallb, some rights reserved (CC-BY-NC)
Acanthochromis polyacanthus
©Tim, some rights reserved (CC-BY)
Acanthochromis polyacanthus
©Tim, some rights reserved (CC-BY)
Acanthochromis polyacanthus
©Peter, some rights reserved (CC-BY-NC)
Acanthochromis polyacanthus
©Peter, some rights reserved (CC-BY-NC)
Acanthochromis polyacanthus
©brieaspasia, some rights reserved (CC-BY-NC)
Acanthochromis polyacanthus
©rigtm, some rights reserved (CC-BY-NC)
Acanthochromis polyacanthus
©Adam Smith, some rights reserved (CC-BY-NC)
Acanthochromis polyacanthus
©Matt Wilkie, some rights reserved (CC-BY-NC)
Acanthochromis polyacanthus
©Matt Wilkie, some rights reserved (CC-BY-NC)
Acanthochromis polyacanthus
©Matt Wilkie, some rights reserved (CC-BY-NC)
Acanthochromis polyacanthus
©Matt Wilkie, some rights reserved (CC-BY-NC)
Acanthochromis polyacanthus
©Matt Wilkie, some rights reserved (CC-BY-NC)
Acanthochromis polyacanthus
©Adam Smith, some rights reserved (CC-BY-NC)
Acanthochromis polyacanthus
©Adam Smith, some rights reserved (CC-BY-NC)
Acanthochromis polyacanthus
©Adam Smith, some rights reserved (CC-BY-NC)
Acanthochromis polyacanthus
©Matt Wilkie, some rights reserved (CC-BY-NC)
Acanthochromis polyacanthus
©Matt Wilkie, some rights reserved (CC-BY-NC)
Acanthochromis polyacanthus
©Matt Wilkie, some rights reserved (CC-BY-NC)
Acanthochromis polyacanthus
©Jean-Paul Boerekamps, some rights reserved (CC-BY-NC)
Acanthochromis polyacanthus
©Adam Smith, some rights reserved (CC-BY-NC)
Acanthochromis polyacanthus
©Matt Wilkie, some rights reserved (CC-BY-NC)
Acanthochromis polyacanthus
©Adam Smith, some rights reserved (CC-BY-NC)
Acanthochromis polyacanthus
©Adam Smith, some rights reserved (CC-BY-NC)
Acanthochromis polyacanthus
©Phil Benstead, some rights reserved (CC-BY-NC)
Acanthochromis polyacanthus
©Jean-Paul Boerekamps, some rights reserved (CC-BY-NC)
Acanthochromis polyacanthus
©Jean-Paul Boerekamps, some rights reserved (CC-BY-NC)
Acanthochromis polyacanthus
©Jean-Paul Boerekamps, some rights reserved (CC-BY-NC)
Acanthochromis polyacanthus
©Matt Wilkie, some rights reserved (CC-BY-NC)
Acanthochromis polyacanthus
©Anne Hoggett, some rights reserved (CC-BY-NC)
Acanthochromis polyacanthus
©Bird Explorers, some rights reserved (CC-BY-NC)
Acanthochromis polyacanthus
©allenxue, some rights reserved (CC-BY-NC)
Acanthochromis polyacanthus
©Jean-Paul Boerekamps, some rights reserved (CC-BY-NC)
Acanthochromis polyacanthus
©Jean-Paul Boerekamps, some rights reserved (CC-BY-NC)
Acanthochromis polyacanthus
©Jean-Paul Boerekamps, some rights reserved (CC-BY-NC)
Acanthochromis polyacanthus
©Jean-Paul Boerekamps, some rights reserved (CC-BY-NC)
Acanthochromis polyacanthus
©Jean-Paul Boerekamps, some rights reserved (CC-BY-NC)
Acanthochromis polyacanthus
©Jean-Paul Boerekamps, some rights reserved (CC-BY-NC)
Acanthochromis polyacanthus
©Jean-Paul Boerekamps, some rights reserved (CC-BY-NC)
Acanthochromis polyacanthus
©Jean-Paul Boerekamps, some rights reserved (CC-BY-NC)
Acanthochromis polyacanthus
©Jean-Paul Boerekamps, some rights reserved (CC-BY-NC)
Acanthochromis polyacanthus
©Jean-Paul Boerekamps, some rights reserved (CC-BY-NC)
Acanthochromis polyacanthus
©Jean-Paul Boerekamps, some rights reserved (CC-BY-NC)
Acanthochromis polyacanthus
©Jean-Paul Boerekamps, some rights reserved (CC-BY-NC)
Acanthochromis polyacanthus
©Jean-Paul Boerekamps, some rights reserved (CC-BY-NC)
Acanthochromis polyacanthus
©Jean-Paul Boerekamps, some rights reserved (CC-BY-NC)
Acanthochromis polyacanthus
©Jean-Paul Boerekamps, some rights reserved (CC-BY-NC)
Acanthochromis polyacanthus
©Adam Smith, some rights reserved (CC-BY-NC)
Acanthochromis polyacanthus
©Matt Wilkie, some rights reserved (CC-BY-NC)
Acanthochromis polyacanthus
©Matt Wilkie, some rights reserved (CC-BY-NC)
Acanthochromis polyacanthus
©Bird Explorers, some rights reserved (CC-BY-NC)
Acanthochromis polyacanthus
©juliesarna, some rights reserved (CC-BY-NC)
Acanthochromis polyacanthus
©juliesarna, some rights reserved (CC-BY-NC)
Acanthochromis polyacanthus
©juliesarna, some rights reserved (CC-BY-NC)
Acanthochromis polyacanthus
©Adam Smith, some rights reserved (CC-BY-NC)
Acanthochromis polyacanthus
©Matt Wilkie, some rights reserved (CC-BY-NC)
Acanthochromis polyacanthus
©donovanroberts, some rights reserved (CC-BY)
Acanthochromis polyacanthus
©Albert Kang, some rights reserved (CC-BY-NC)
Acanthochromis polyacanthus
©Matt Wilkie, some rights reserved (CC-BY-NC)
Acanthochromis polyacanthus
©Matt Wilkie, some rights reserved (CC-BY-NC)
Acanthochromis polyacanthus
©Bird Explorers, some rights reserved (CC-BY-NC)
Acanthochromis polyacanthus
©Bird Explorers, some rights reserved (CC-BY-NC)
Acanthochromis polyacanthus
©Bird Explorers, some rights reserved (CC-BY-NC)
Acanthochromis polyacanthus
©Adam Smith, some rights reserved (CC-BY-NC)
Acanthochromis polyacanthus
©John Sear, some rights reserved (CC-BY-NC)
Acanthochromis polyacanthus
©Sylvain Le Bris, some rights reserved (CC-BY-NC)
Acanthochromis polyacanthus
©Adam Smith, some rights reserved (CC-BY-NC)
Acanthochromis polyacanthus
©Adam Smith, some rights reserved (CC-BY-NC)
Acanthochromis polyacanthus
©Wayne and Pam Osborn, some rights reserved (CC-BY-NC)
Acanthochromis polyacanthus
©Wayne and Pam Osborn, some rights reserved (CC-BY-NC)
Acanthochromis polyacanthus
©Sylvain Le Bris, some rights reserved (CC-BY-NC)
Acanthochromis polyacanthus
©Sylvain Le Bris, some rights reserved (CC-BY-NC)
Acanthochromis polyacanthus
©fubberpish, some rights reserved (CC-BY-NC)
Acanthochromis polyacanthus
©fubberpish, some rights reserved (CC-BY-NC)
Acanthochromis polyacanthus
©uwkwaj, some rights reserved (CC-BY-NC)
Acanthochromis polyacanthus
©Matt Wilkie, some rights reserved (CC-BY-NC)
Acanthochromis polyacanthus
©Mark Rosenstein, some rights reserved (CC-BY-NC-SA)
Acanthochromis polyacanthus
©Mark Rosenstein, some rights reserved (CC-BY-NC-SA)
Acanthochromis polyacanthus
©Mark Rosenstein, some rights reserved (CC-BY-NC-SA)
Acanthochromis polyacanthus
©Mark Rosenstein, some rights reserved (CC-BY-NC-SA)
Acanthochromis polyacanthus
©Mark Rosenstein, some rights reserved (CC-BY-NC-SA)
Acanthochromis polyacanthus
©Mark Rosenstein, some rights reserved (CC-BY-NC-SA)
Acanthochromis polyacanthus
©Mark Rosenstein, some rights reserved (CC-BY-NC-SA)
Acanthochromis polyacanthus
©Mark Rosenstein, some rights reserved (CC-BY-NC-SA)
Acanthochromis polyacanthus
©Mark Rosenstein, some rights reserved (CC-BY-NC-SA)
Acanthochromis polyacanthus
©Mark Rosenstein, some rights reserved (CC-BY-NC-SA)
Acanthochromis polyacanthus
©Carmelo López Abad, some rights reserved (CC-BY-NC)
Acanthochromis polyacanthus
©Blogie Robillo, some rights reserved (CC-BY-NC-ND)
Acanthochromis polyacanthus
©Mark Rosenstein, some rights reserved (CC-BY-NC-SA)
Acanthochromis polyacanthus
©Lek Khauv, some rights reserved (CC-BY)
Acanthochromis polyacanthus
©Mark Rosenstein, some rights reserved (CC-BY-NC-SA)
Acanthochromis polyacanthus
©Giverny, some rights reserved (CC-BY-NC)
Acanthochromis polyacanthus
©Giverny, some rights reserved (CC-BY-NC)
Acanthochromis polyacanthus
©veiortiz, some rights reserved (CC-BY-NC)
Acanthochromis polyacanthus
©Erik Schlogl, some rights reserved (CC-BY-NC)
Acanthochromis polyacanthus
©Erik Schlogl, some rights reserved (CC-BY-NC)
Acanthochromis polyacanthus
©Erik Schlogl, some rights reserved (CC-BY-NC)
Acanthochromis polyacanthus
©Erik Schlogl, some rights reserved (CC-BY-NC)
Acanthochromis polyacanthus
©Erik Schlogl, some rights reserved (CC-BY-NC)
Acanthochromis polyacanthus
©Pete Woodall, some rights reserved (CC-BY-NC)
Acanthochromis polyacanthus
©Pete Woodall, some rights reserved (CC-BY-NC)
Acanthochromis polyacanthus
©Pete Woodall, some rights reserved (CC-BY-NC)
Acanthochromis polyacanthus
©Pete Woodall, some rights reserved (CC-BY-NC)
Acanthochromis polyacanthus
©Pete Woodall, some rights reserved (CC-BY-NC)
Acanthochromis polyacanthus
©Ryan McMinds, some rights reserved (CC-BY)
Acanthochromis polyacanthus
©Ryan McMinds, some rights reserved (CC-BY)
Acanthochromis polyacanthus
©Ryan McMinds, some rights reserved (CC-BY)
Acanthochromis polyacanthus
©Ryan McMinds, some rights reserved (CC-BY)
Acanthochromis polyacanthus
©Mark McGrouther, some rights reserved (CC-BY-NC)
Acanthochromis polyacanthus
©Mark McGrouther, some rights reserved (CC-BY-NC)
Acanthochromis polyacanthus
©Mark McGrouther, some rights reserved (CC-BY-NC)
Acanthochromis polyacanthus
©Sascha Schulz, some rights reserved (CC-BY-NC)
Acanthochromis polyacanthus
©Christian Schwarz, some rights reserved (CC-BY-NC)
Acanthochromis polyacanthus
©Adelma Hills, some rights reserved (CC-BY-NC)
Acanthochromis polyacanthus
©botanygirl, some rights reserved (CC-BY)
Acanthochromis polyacanthus
©smilelynaomi, some rights reserved (CC-BY-NC)

Parent Taxon

Top Observation Places