Acanthuridae: taxon details and analytics
- Domain
- Kingdom
- Animalia
- Phylum
- Chordata
- Class
- Actinopterygii
- Order
- Acanthuriformes
- Family
- Acanthuridae
- Genus
- Species
- Scientific Name
- Acanthuridae
Summary description from Wikipedia:
Acanthuridae
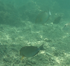
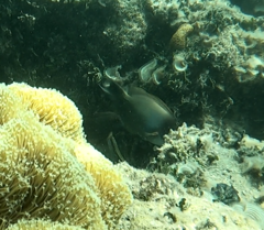
Acanthuridae are a family of ray-finned fish which includes surgeonfishes, tangs, and unicornfishes. The family includes about 86 extant species of marine fish living in tropical seas, usually around coral reefs. Many of the species are brightly colored and popular in aquaria.
...Acanthuridae in languages:
- Chinese
- 刺尾鯛科
- Czech
- bodlokovití
- Danish
- Kirurgfisk
- English
- Surgeonfishes, Tangs, and Unicornfishes
- English
- Surgeonfishes and Tangs
- English
- Unicornfishes
- English
- Sawtail Surgeonfishes
- French
- Poissons-chirurgiens
- German
- Doktorfische
- German
- Skalpelldoktorfische
- German
- Nasendoktorfische
- Hebrew
- בתרניים
- Italian
- Pesce Chirurgo
- Italian
- Pesce unicorno
- Japanese
- ニザダイ科
- Japanese
- ニザダイ亜科
- Japanese
- テングハギ亜科
- Polish
- Pokolcowate
- Portuguese
- Peixes-cirurgião e peixes-unicórnio
- Russian
- Хирурговые
- Thai
- วงศ์ ปลาขี้ตังเบ็ด
- Turkish
- Cerrah Balıkları
Images from inaturalist.org observations:
We recommend you sign up for this excellent, free service.
Parent Taxon
Sibling Taxa
- Acanthuridae
- Antigoniidae
- Callanthiidae
- Caproidae
- Cepolidae
- Chaetodontidae
- Dinopercidae
- Drepaneidae
- Emmelichthyidae
- Ephippidae
- Gerreidae
- Haemulidae
- Latilidae
- Leiognathidae
- Lethrinidae
- Lobotidae
- Lutjanidae
- Luvaridae
- Malacanthidae
- Monodactylidae
- Moronidae
- Nemipteridae
- Pomacanthidae
- Priacanthidae
- Scatophagidae
- Sciaenidae
- Siganidae
- Sillaginidae
- Sparidae
- Zanclidae






























































































































































