Acanthurus leucopareius: taxon details and analytics
- Domain
- Kingdom
- Animalia
- Phylum
- Chordata
- Class
- Actinopterygii
- Order
- Acanthuriformes
- Family
- Acanthuridae
- Genus
- Acanthurus
- Species
- Acanthurus leucopareius
- Scientific Name
- Acanthurus leucopareius
Summary description from Wikipedia:
Acanthurus leucopareius
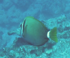
Acanthurus leucopareius, the whitebar surgeonfish or headband surgeonfish, is a species of marine ray-finned fish belonging to the family Acanthuridae, the surgeonfishes, unicornfishes and tangs. This species is found in the Pacific Ocean.
...Acanthurus leucopareius in languages:
- Czech
- bodlok bělopruhý
- Danish
- Hvidbåndet kirurgfisk
- English
- Whitebar Surgeonfish
- Italian
- Pesce chirurgo fascia bianca
- Italian
- Pesce chirurgo fasciato
- Italian
- Pesce chirurgo barrato
- Japanese
- スジクロハギ
Images from inaturalist.org observations:
We recommend you sign up for this excellent, free service.
Parent Taxon
Sibling Taxa
- Acanthurus achilles
- Acanthurus achilles × nigricans
- Acanthurus albimento
- Acanthurus albipectoralis
- Acanthurus auranticavus
- Acanthurus bahianus
- Acanthurus bariene
- Acanthurus blochii
- Acanthurus chirurgus
- Acanthurus chronixis
- Acanthurus coeruleus
- Acanthurus dussumieri
- Acanthurus fowleri
- Acanthurus gahhm
- Acanthurus grammoptilus
- Acanthurus guttatus
- Acanthurus japonicus
- Acanthurus leucocheilus
- Acanthurus leucopareius
- Acanthurus leucosternon
- Acanthurus lineatus
- Acanthurus maculiceps
- Acanthurus mata
- Acanthurus mindorensis
- Acanthurus monroviae
- Acanthurus nigricans
- Acanthurus nigricans × leucosternon
- Acanthurus nigricauda
- Acanthurus nigrofuscus
- Acanthurus nigroris
- Acanthurus nigros
- Acanthurus nubilus
- Acanthurus olivaceus
- Acanthurus olivaceus × tennentii
- Acanthurus polyzona
- Acanthurus pyroferus
- Acanthurus reversus
- Acanthurus sandvicensis
- Acanthurus sohal
- Acanthurus tennentii
- Acanthurus thompsoni
- Acanthurus tractus
- Acanthurus triostegus
- Acanthurus tristis
- Acanthurus xanthopterus

























































































































































