Acetropis carinata: taxon details and analytics

Domain
Kingdom
Animalia
Phylum
Arthropoda
Class
Insecta
Order
Hemiptera
Family
Miridae
Genus
Acetropis
Species
Acetropis carinata
Scientific Name
Acetropis carinata

Summary description from Wikipedia:

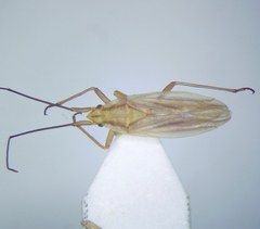
Acetropis carinata

De Gekielde graswants (Acetropis carinata) is een wants uit de familie van de blindwantsen (Miridae). De soort werd het eerst wetenschappelijk beschreven door Gottlieb August Wilhelm Herrich-Schäffer in 1841.

...
 

Acetropis carinata in languages:

Czech
klopuška kýlnatá
Dutch
Gekielde graswants

Images from inaturalist.org observations:

We recommend you sign up for this excellent, free service.

Acetropis carinata
©Konstantin Grebennikov, some rights reserved (CC-BY)
Acetropis carinata
©Konstantin Grebennikov, some rights reserved (CC-BY)
Acetropis carinata
©Konstantin Grebennikov, some rights reserved (CC-BY)
Acetropis carinata
©Konstantin Grebennikov, some rights reserved (CC-BY)
Acetropis carinata
©Konstantin Grebennikov, some rights reserved (CC-BY)
Acetropis carinata
©Konstantin Grebennikov, some rights reserved (CC-BY)
Acetropis carinata
©Konstantin Grebennikov, some rights reserved (CC-BY)
Acetropis carinata
©Konstantin Grebennikov, some rights reserved (CC-BY)
Acetropis carinata
©Konstantin Grebennikov, some rights reserved (CC-BY)
Acetropis carinata
©Konstantin Grebennikov, some rights reserved (CC-BY)
Acetropis carinata
©Konstantin Grebennikov, some rights reserved (CC-BY)
Acetropis carinata
©Konstantin Grebennikov, some rights reserved (CC-BY)
Acetropis carinata
©stella_miel, some rights reserved (CC-BY-NC)
Acetropis carinata
©stella_miel, some rights reserved (CC-BY-NC)
Acetropis carinata
©Felix Riegel, some rights reserved (CC-BY-NC)
Acetropis carinata
©Felix Riegel, some rights reserved (CC-BY-NC)
Acetropis carinata
©Felix Riegel, some rights reserved (CC-BY-NC)
Acetropis carinata
©Felix Riegel, some rights reserved (CC-BY-NC)
Acetropis carinata
©Konstantin Grebennikov, some rights reserved (CC-BY)
Acetropis carinata
©Konstantin Grebennikov, some rights reserved (CC-BY)
Acetropis carinata
©Konstantin Grebennikov, some rights reserved (CC-BY)
Acetropis carinata
©Konstantin Grebennikov, some rights reserved (CC-BY)
Acetropis carinata
©Konstantin Grebennikov, some rights reserved (CC-BY)
Acetropis carinata
©Konstantin Grebennikov, some rights reserved (CC-BY)
Acetropis carinata
©Konstantin Grebennikov, some rights reserved (CC-BY)
Acetropis carinata
©Konstantin Grebennikov, some rights reserved (CC-BY)
Acetropis carinata
©Konstantin Grebennikov, some rights reserved (CC-BY)
Acetropis carinata
©Konstantin Grebennikov, some rights reserved (CC-BY)
Acetropis carinata
©Konstantin Grebennikov, some rights reserved (CC-BY)
Acetropis carinata
©Konstantin Grebennikov, some rights reserved (CC-BY)
Acetropis carinata
©Konstantin Grebennikov, some rights reserved (CC-BY)
Acetropis carinata
©Konstantin Grebennikov, some rights reserved (CC-BY)
Acetropis carinata
©Konstantin Grebennikov, some rights reserved (CC-BY)
Acetropis carinata
©Konstantin Grebennikov, some rights reserved (CC-BY)
Acetropis carinata
©Konstantin Grebennikov, some rights reserved (CC-BY)
Acetropis carinata
©Konstantin Grebennikov, some rights reserved (CC-BY)
Acetropis carinata
©Konstantin Grebennikov, some rights reserved (CC-BY)
Acetropis carinata
©Konstantin Grebennikov, some rights reserved (CC-BY)
Acetropis carinata
©Konstantin Grebennikov, some rights reserved (CC-BY)
Acetropis carinata
©Konstantin Grebennikov, some rights reserved (CC-BY)
Acetropis carinata
©Konstantin Grebennikov, some rights reserved (CC-BY)
Acetropis carinata
©Konstantin Grebennikov, some rights reserved (CC-BY)
Acetropis carinata
©Konstantin Grebennikov, some rights reserved (CC-BY)
Acetropis carinata
©Konstantin Grebennikov, some rights reserved (CC-BY)
Acetropis carinata
©Konstantin Grebennikov, some rights reserved (CC-BY)
Acetropis carinata
©Konstantin Grebennikov, some rights reserved (CC-BY)
Acetropis carinata
©Konstantin Grebennikov, some rights reserved (CC-BY)
Acetropis carinata
©Konstantin Grebennikov, some rights reserved (CC-BY)
Acetropis carinata
©Konstantin Grebennikov, some rights reserved (CC-BY)
Acetropis carinata
©koblmuel, some rights reserved (CC-BY-NC)
Acetropis carinata
©Corey Callaghan, some rights reserved (CC-BY-NC)