Skip to the navigation
.
Skip to the content
.
BioSurveys.org
Surveying life, socially, locally.
places search
taxa search
Color
Sign In
Acompocoris: taxon details and analytics
Domain
Kingdom
Animalia
Phylum
Arthropoda
Class
Insecta
Order
Hemiptera
Family
Anthocoridae
Genus
Acompocoris
Species
Scientific Name
Acompocoris
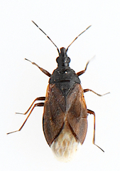
Images from inaturalist.org observations:
We recommend you sign up for this excellent, free service.
©André MIQUET, some rights reserved (CC-BY-NC)
Parent Taxon
Anthocoridae
Sibling Taxa
Acompocoris
Anthocoris
Coccivora
Compsobiella
Elatophilus
Tetraphleps
Child Taxa
Acompocoris alpinus
Acompocoris lepidus
Acompocoris montanus
Acompocoris pygmaeus
Top Observation Places
Share
Tweet
Back to Top
Biosurveys - Crowd Sourced Local Biogeography Login