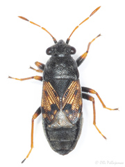
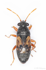
Acompus pallipes: taxon details and analytics
- Domain
- Kingdom
- Animalia
- Phylum
- Arthropoda
- Class
- Insecta
- Order
- Hemiptera
- Family
- Rhyparochromidae
- Genus
- Acompus
- Species
- Acompus pallipes
- Scientific Name
- Acompus pallipes
Images from inaturalist.org observations:
We recommend you sign up for this excellent, free service.










