Adelphocoris lineolatus: taxon details and analytics
- Domain
- Kingdom
- Animalia
- Phylum
- Arthropoda
- Class
- Insecta
- Order
- Hemiptera
- Family
- Miridae
- Genus
- Adelphocoris
- Species
- Adelphocoris lineolatus
- Scientific Name
- Adelphocoris lineolatus
Summary description from Wikipedia:
Adelphocoris lineolatus
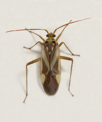
Adelphocoris lineolatus, is commonly known as the Lucerne bug or the alfalfa plant bug, and belongs to the family Miridae. It is an agricultural pest causing vast amounts of damage to numerous crops, but primarily to alfalfa crops around the globe.
...Adelphocoris lineolatus in languages:
- Czech
- klopuška světlá
- Danish
- Lucernetæge
- Dutch
- Luzernesierblindwants
- English
- Alfalfa Plant Bug
- English
- Lucerne Bug
- Finnish
- viiruviittalude
- French
- Capside de la luzerne
- French
- Capside des légumineuses
- German
- Luzernen-Zierwanze
- Hungarian
- lucernapoloska
- Japanese
- ウススジカスミカメ
- Korean
- 연리초장님노린재
- Lithuanian
- Liucerninė Žolblakė
- Polish
- Ozdobnik lucernowiec
- Russian
- Слепняк люцерновый
- Slovak
- bzdôška lucernová
Images from inaturalist.org observations:
We recommend you sign up for this excellent, free service.
Parent Taxon
Sibling Taxa
- Adelphocoris albonotatus
- Adelphocoris bimaculicollis
- Adelphocoris corallinus
- Adelphocoris demissus
- Adelphocoris detritus
- Adelphocoris divergens
- Adelphocoris falukei
- Adelphocoris fasciaticollis
- Adelphocoris fasciiger
- Adelphocoris ferrugineus
- Adelphocoris flavovirens
- Adelphocoris funestus
- Adelphocoris fuscicornis
- Adelphocoris hercynicus
- Adelphocoris insignis
- Adelphocoris josifovi
- Adelphocoris laeviusculus
- Adelphocoris lineolatus
- Adelphocoris luridus
- Adelphocoris medialis
- Adelphocoris melanocephalus
- Adelphocoris minor
- Adelphocoris nigritylus
- Adelphocoris obliquefasciatus
- Adelphocoris piceosetosus
- Adelphocoris ponghvariensis
- Adelphocoris quadripunctatus
- Adelphocoris rapidus
- Adelphocoris reichelii
- Adelphocoris rufescens
- Adelphocoris seticornis
- Adelphocoris sichuanus
- Adelphocoris suturalis
- Adelphocoris taeniophorus
- Adelphocoris tenebrosus
- Adelphocoris tibetanus
- Adelphocoris ticinensis
- Adelphocoris torquatus
- Adelphocoris triannulatus
- Adelphocoris vandalicus
- Adelphocoris variabilis
- Adelphocoris vinokurovi
- Adelphocoris zoui
Top Observation Places
- Latina
- Hamden
- Monza
- Sesto San Giovanni
- Brooklyn
- East Flatbush
- Bushwick
- Flatbush
- Brownsville
- Park Slope
- Flatlands
- Akron
- Strogino
- Saint-Étienne
- Troisdorf
- Wyoming
- Lyon 03
- Lyon 07
- Lyon 06
- Guelph
- Helsinki
- Vancouver
- Graz
- Halifax
- Dartmouth
- Winnipeg
- Thunder Bay
- Großzschocher
- Leipzig
- Frankfurt am Main
- Warsaw
- Mokotów
- Praga Południe
- Wola
- Bielany
- Śródmieście
- Białołeka
- Targówek
- Bemowo
- Praga Północ
- Ochota
- Żoliborz
- Berlin
- Neukölln
- Kreuzberg
- Prenzlauer Berg
- Charlottenburg
- Schöneberg
- Friedrichshain
- Mitte































































































































































