Aderus populneus: taxon details and analytics

Domain
Kingdom
Animalia
Phylum
Arthropoda
Class
Insecta
Order
Coleoptera
Family
Aderidae
Genus
Aderus
Species
Aderus populneus
Scientific Name
Aderus populneus

Summary description from Wikipedia:

Aderus populneus

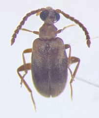
Aderus populneus is a species of ant-like leaf beetle in the family Aderidae. Native to the west Palaearctic (very common in England, it has been introduced in North America. Large eyes, pubescent antennae, 1.5-2mm

...
 

Aderus populneus in languages:

Swedish
aspögonbagge

Images from inaturalist.org observations:

We recommend you sign up for this excellent, free service.

Aderus populneus
©maltamy, some rights reserved (CC-BY-NC)
Aderus populneus
©maltamy, some rights reserved (CC-BY-NC)
Aderus populneus
©ilona01, some rights reserved (CC-BY-NC)
Aderus populneus
©Ludo Leclerc, some rights reserved (CC-BY-NC)
Aderus populneus
©Ludo Leclerc, some rights reserved (CC-BY-NC)
Aderus populneus
©faluke, some rights reserved (CC-BY-NC)
Aderus populneus
©faluke, some rights reserved (CC-BY-NC)
Aderus populneus
©faluke, some rights reserved (CC-BY-NC)
Aderus populneus
©Ginette Truchon, some rights reserved (CC-BY-NC)
Aderus populneus
©Gábor Keresztes, some rights reserved (CC-BY-NC)
Aderus populneus
©Gábor Keresztes, some rights reserved (CC-BY-NC)
Aderus populneus
©brunoparisotto, some rights reserved (CC-BY-NC)
Aderus populneus
©vaggeliskoutsoukos, some rights reserved (CC-BY-NC)
Aderus populneus
©Shamil Murtazin, some rights reserved (CC-BY-NC)
Aderus populneus
©Shamil Murtazin, some rights reserved (CC-BY-NC)
Aderus populneus
©Shamil Murtazin, some rights reserved (CC-BY-NC)
Aderus populneus
©Shamil Murtazin, some rights reserved (CC-BY-NC)
Aderus populneus
©Shamil Murtazin, some rights reserved (CC-BY-NC)
Aderus populneus
©mobbini, some rights reserved (CC-BY-NC)
Aderus populneus
©mobbini, some rights reserved (CC-BY-NC)
Aderus populneus
©mobbini, some rights reserved (CC-BY-NC)
Aderus populneus
©mobbini, some rights reserved (CC-BY-NC)
Aderus populneus
©mobbini, some rights reserved (CC-BY-NC)
Aderus populneus
©mobbini, some rights reserved (CC-BY-NC)
Aderus populneus
©mobbini, some rights reserved (CC-BY-NC)
Aderus populneus
©lantinantoine, some rights reserved (CC-BY-NC)
Aderus populneus
©lantinantoine, some rights reserved (CC-BY-NC)
Aderus populneus
©lantinantoine, some rights reserved (CC-BY-NC)
Aderus populneus
©lantinantoine, some rights reserved (CC-BY-NC)
Aderus populneus
©Barry Walter, some rights reserved (CC-BY)
Aderus populneus
©Barry Walter, some rights reserved (CC-BY)
Aderus populneus
©Barry Walter, some rights reserved (CC-BY)
Aderus populneus
©s173, some rights reserved (CC-BY)
Aderus populneus
©Igor Balashov, some rights reserved (CC-BY)
Aderus populneus
©Igor Balashov, some rights reserved (CC-BY)
Aderus populneus
©Igor Balashov, some rights reserved (CC-BY)
Aderus populneus
©Igor Balashov, some rights reserved (CC-BY)
Aderus populneus
©Igor Balashov, some rights reserved (CC-BY)
Aderus populneus
©Igor Balashov, some rights reserved (CC-BY)
Aderus populneus
©Igor Balashov, some rights reserved (CC-BY)
Aderus populneus
©Igor Balashov, some rights reserved (CC-BY)
Aderus populneus
©Igor Balashov, some rights reserved (CC-BY)
Aderus populneus
©Igor Balashov, some rights reserved (CC-BY)
Aderus populneus
©Igor Balashov, some rights reserved (CC-BY)
Aderus populneus
©Igor Balashov, some rights reserved (CC-BY)
Aderus populneus
©Igor Balashov, some rights reserved (CC-BY)
Aderus populneus
©Igor Balashov, some rights reserved (CC-BY)
Aderus populneus
©Associação Vita Nativa, some rights reserved (CC-BY-NC)
Aderus populneus
©philippe_geniez, some rights reserved (CC-BY-NC)
Aderus populneus
©philippe_geniez, some rights reserved (CC-BY-NC)
Aderus populneus
©svg52, some rights reserved (CC-BY-NC)
Aderus populneus
©svg52, some rights reserved (CC-BY-NC)
Aderus populneus
©svg52, some rights reserved (CC-BY-NC)
Aderus populneus
©svg52, some rights reserved (CC-BY-NC)
Aderus populneus
©svg52, some rights reserved (CC-BY-NC)
Aderus populneus
©svg52, some rights reserved (CC-BY-NC)
Aderus populneus
©svg52, some rights reserved (CC-BY-NC)
Aderus populneus
©faluke, some rights reserved (CC-BY-NC)
Aderus populneus
©svg52, some rights reserved (CC-BY-NC)
Aderus populneus
©svg52, some rights reserved (CC-BY-NC)
Aderus populneus
©svg52, some rights reserved (CC-BY-NC)
Aderus populneus
©svg52, some rights reserved (CC-BY-NC)
Aderus populneus
©svg52, some rights reserved (CC-BY-NC)
Aderus populneus
©svg52, some rights reserved (CC-BY-NC)
Aderus populneus
©svg52, some rights reserved (CC-BY-NC)
Aderus populneus
©svg52, some rights reserved (CC-BY-NC)
Aderus populneus
©svg52, some rights reserved (CC-BY-NC)
Aderus populneus
©svg52, some rights reserved (CC-BY-NC)
Aderus populneus
©Roman, some rights reserved (CC-BY)