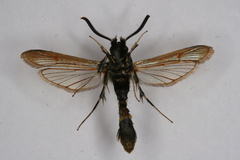
Aegerina ovinia: taxon details and analytics
- Domain
- Kingdom
- Animalia
- Phylum
- Arthropoda
- Class
- Insecta
- Order
- Lepidoptera
- Family
- Sesiidae
- Genus
- Aegerina
- Species
- Aegerina ovinia
- Scientific Name
- Aegerina ovinia
Images from inaturalist.org observations:
We recommend you sign up for this excellent, free service.





