Agaraea longicornis: taxon details and analytics
- Domain
- Kingdom
- Animalia
- Phylum
- Arthropoda
- Class
- Insecta
- Order
- Lepidoptera
- Family
- Erebidae
- Genus
- Agaraea
- Species
- Agaraea longicornis
- Scientific Name
- Agaraea longicornis
Summary description from Wikipedia:
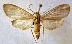
Agaraea longicornis
Agaraea longicornis is a moth of the family Erebidae. It was described by Gottlieb August Wilhelm Herrich-Schäffer in 1855. It is found in Mexico, Guatemala, Panama, Costa Rica, Brazil and Paraguay.
...Images from inaturalist.org observations:
We recommend you sign up for this excellent, free service.
Parent Taxon
Sibling Taxa
- Agaraea atrivena
- Agaraea boettgeri
- Agaraea citrinotincta
- Agaraea emendatus
- Agaraea inconspicua
- Agaraea internervosa
- Agaraea klagesi
- Agaraea longicornis
- Agaraea minuta
- Agaraea mossi
- Agaraea nigrostriata
- Agaraea nigrotuberculata
- Agaraea ockendeni
- Agaraea phaeophlebia
- Agaraea rulla
- Agaraea santaria
- Agaraea schausi
- Agaraea semivitrea
- Agaraea strigata
- Agaraea uniformis









