Agonum nigriceps: taxon details and analytics
- Domain
- Kingdom
- Animalia
- Phylum
- Arthropoda
- Class
- Insecta
- Order
- Coleoptera
- Family
- Carabidae
- Genus
- Agonum
- Species
- Agonum nigriceps
- Scientific Name
- Agonum nigriceps
Summary description from Wikipedia:
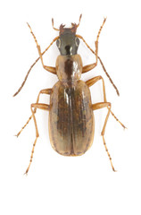
Agonum nigriceps
Agonum nigriceps is a species of ground beetle in the family Carabidae. It is found in Europe and Northern Asia (excluding China) and North America.
...Images from inaturalist.org observations:
We recommend you sign up for this excellent, free service.









