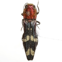
Agrilus toxotes: taxon details and analytics
- Domain
- Kingdom
- Animalia
- Phylum
- Arthropoda
- Class
- Insecta
- Order
- Coleoptera
- Family
- Buprestidae
- Genus
- Agrilus
- Species
- Agrilus toxotes
- Scientific Name
- Agrilus toxotes
Parent Taxon
Sibling Taxa
- Agrilus abductus
- Agrilus abjectus
- Agrilus acaciae
- Agrilus acutipennis
- Agrilus acutus
- Agrilus addendus
- Agrilus aedil
- Agrilus aeneocephalus
- Agrilus affinis
- Agrilus albocomus
- Agrilus albogularis
- Agrilus albomaculifer
- Agrilus albomarginatus
- Agrilus amelanchieri
- Agrilus amulius
- Agrilus angelicus
- Agrilus angustulus
- Agrilus anxius
- Agrilus arbuti
- Agrilus arcuatus
- Agrilus arizonicus
- Agrilus asperulus
- Agrilus assimilis
- Agrilus ater
- Agrilus atricornis
- Agrilus atripennis
- Agrilus audax
- Agrilus aureus
- Agrilus aurichalceus
- Agrilus auricollis
- Agrilus aurilatera
- Agrilus auriventris
- Agrilus auroapical
- Agrilus auroguttatus
- Agrilus auropictus
- Agrilus australasiae
- Agrilus balaenicaudus
- Agrilus balaenoides
- Agrilus benjamini
- Agrilus bentseni
- Agrilus bespencus
- Agrilus betuleti
- Agrilus bicoloropsis
- Agrilus biguttatus
- Agrilus bilineatus
- Agrilus biplagiatus
- Agrilus blairianus
- Agrilus blandus
- Agrilus burkei
- Agrilus cailloli
- Agrilus capensis
- Agrilus cardiaspis
- Agrilus carissimus
- Agrilus carpini
- Agrilus catalinae
- Agrilus catherinae
- Agrilus cavatus
- Agrilus cavifrons
- Agrilus celti
- Agrilus centralis
- Agrilus cephalicus
- Agrilus cephalotes
- Agrilus cerrolatus
- Agrilus chalcoventris
- Agrilus champlaini
- Agrilus chiricahuae
- Agrilus chrysostictus
- Agrilus chujoi
- Agrilus cinctus
- Agrilus cliftoni
- Agrilus clytrinoides
- Agrilus coatlycuei
- Agrilus cochisei
- Agrilus coelestis
- Agrilus concinnus
- Agrilus convexicollis
- Agrilus corrugatus
- Agrilus corylicola
- Agrilus coxalis
- Agrilus crapullelus
- Agrilus crataegi
- Agrilus cribricollis
- Agrilus criddlei
- Agrilus crinicornis
- Agrilus cupreonitens
- Agrilus cuprescens
- Agrilus cupriventris
- Agrilus cuspidatus
- Agrilus cyanescens
- Agrilus dauberi
- Agrilus debilis
- Agrilus deborrei
- Agrilus decoloratus
- Agrilus decoratus
- Agrilus defectus
- Agrilus delectabilis
- Agrilus delicatulus
- Agrilus delphinensis
- Agrilus derasofasciatus
- Agrilus detractus
- Agrilus dewitti
- Agrilus deyrollei
- Agrilus difficilis
- Agrilus dilaticornis
- Agrilus discalis
- Agrilus discolor
- Agrilus divaricatus
- Agrilus diversicolor
- Agrilus doddsi
- Agrilus dollii
- Agrilus dozieri
- Agrilus duncani
- Agrilus echidna
- Agrilus effrenatus
- Agrilus egeniformis
- Agrilus egenus
- Agrilus eleanorae
- Agrilus elongatulus
- Agrilus emarginatus
- Agrilus erici
- Agrilus ertli
- Agrilus esperanzae
- Agrilus euonymi
- Agrilus exiguellus
- Agrilus falcatus
- Agrilus fallax
- Agrilus falli
- Agrilus felix
- Agrilus ferrisi
- Agrilus fisherellus
- Agrilus fleischeri
- Agrilus flohri
- Agrilus fosseicollis
- Agrilus fraudulentus
- Agrilus frigidus
- Agrilus frisoni
- Agrilus frosti
- Agrilus fulgens
- Agrilus fulminans
- Agrilus funestus
- Agrilus furcillatus
- Agrilus fuscipennis
- Agrilus geminatus
- Agrilus gibbicollis
- Agrilus gloriosulus
- Agrilus goldsteini
- Agrilus graminis
- Agrilus grandis
- Agrilus granulatus
- Agrilus guerini
- Agrilus gunningi
- Agrilus harenus
- Agrilus hastulatus
- Agrilus hastulifer
- Agrilus hespenheidei
- Agrilus heterothecae
- Agrilus horni
- Agrilus huachucae
- Agrilus hualpaii
- Agrilus hyperici
- Agrilus hypoleucus
- Agrilus illectus
- Agrilus imbellis
- Agrilus imbricatus
- Agrilus imitans
- Agrilus impexus
- Agrilus inhabilis
- Agrilus insularis
- Agrilus insulicola
- Agrilus integerrimus
- Agrilus ivettae
- Agrilus ixcuinae
- Agrilus juglandis
- Agrilus kaluganus
- Agrilus kituinus
- Agrilus komareki
- Agrilus krantzi
- Agrilus lacus
- Agrilus lacustris
- Agrilus laelius
- Agrilus lampyrus
- Agrilus langei
- Agrilus laticornis
- Agrilus latifrons
- Agrilus lautuelliformis
- Agrilus lautuellus
- Agrilus lecontei
- Agrilus leonhardi
- Agrilus limpiae
- Agrilus lineola
- Agrilus liragus
- Agrilus litura
- Agrilus luctator
- Agrilus macer
- Agrilus macroderus
- Agrilus malvastri
- Agrilus masculinus
- Agrilus mashunus
- Agrilus massikessus
- Agrilus mecoatli
- Agrilus melanospilus
- Agrilus mendax
- Agrilus mendicus
- Agrilus mimosae
- Agrilus mirandus
- Agrilus motobuanus
- Agrilus mutabilis
- Agrilus muticus
- Agrilus nalandae
- Agrilus napatecutli
- Agrilus nataligena
- Agrilus neocles
- Agrilus neoprosopidus
- Agrilus nero
- Agrilus nigricans
- Agrilus niisatoi
- Agrilus niveiventris
- Agrilus njugunai
- Agrilus nodifrons
- Agrilus obnotatus
- Agrilus obolinus
- Agrilus obscuricollis
- Agrilus obscurilineatus
- Agrilus obsoletoguttatus
- Agrilus obtusus
- Agrilus occipitalis
- Agrilus oculatus
- Agrilus oishii
- Agrilus olivaceoniger
- Agrilus olivicolor
- Agrilus orestes
- Agrilus ornatulus
- Agrilus ornatus
- Agrilus osburni
- Agrilus otiosus
- Agrilus paludicola
- Agrilus parabductus
- Agrilus paracelti
- Agrilus paraimpexus
- Agrilus paramacer
- Agrilus parkeri
- Agrilus parvus
- Agrilus pectoralis
- Agrilus pensus
- Agrilus perlucidus
- Agrilus pilosicollis
- Agrilus pilosovittatus
- Agrilus piscis
- Agrilus planipennis
- Agrilus plasoni
- Agrilus plutonius
- Agrilus politus
- Agrilus pratensis
- Agrilus priamus
- Agrilus prionurus
- Agrilus prodigiosus
- Agrilus prosopidis
- Agrilus proximulus
- Agrilus pseudocoryli
- Agrilus pseudocyaneus
- Agrilus pseudofallax
- Agrilus pubifrons
- Agrilus puellus
- Agrilus pulchellus
- Agrilus puli
- Agrilus pulvereus
- Agrilus purpuratus
- Agrilus putillus
- Agrilus pyrosurus
- Agrilus quadriguttatus
- Agrilus quercicola
- Agrilus quercus
- Agrilus quetzalcoatli
- Agrilus raffrayi
- Agrilus raphelisi
- Agrilus refectus
- Agrilus relegatus
- Agrilus ribesi
- Agrilus roscidus
- Agrilus rubroniger
- Agrilus rubrovittatus
- Agrilus ruficollis
- Agrilus ruginosus
- Agrilus salicis
- Agrilus sallaei
- Agrilus salviaphilos
- Agrilus sapindi
- Agrilus sauteri
- Agrilus sayi
- Agrilus scabrosus
- Agrilus scitulus
- Agrilus sellatus
- Agrilus semicinctus
- Agrilus senilis
- Agrilus sericans
- Agrilus sesostris
- Agrilus sexguttatus
- Agrilus sinensis
- Agrilus sinuatus
- Agrilus siren
- Agrilus smaragdifrons
- Agrilus snowi
- Agrilus solieri
- Agrilus sospes
- Agrilus spathulatus
- Agrilus spinipennis
- Agrilus squaliformis
- Agrilus squalus
- Agrilus squamulatus
- Agrilus stellatus
- Agrilus subauratus
- Agrilus subcinctus
- Agrilus submendicus
- Agrilus subrobustus
- Agrilus subsignatus
- Agrilus subtropicus
- Agrilus sulcatulus
- Agrilus sulcicollis
- Agrilus sulcicpennis
- Agrilus sulcifrons
- Agrilus sulphurifer
- Agrilus sumministratus
- Agrilus suvorovi
- Agrilus tarrascus
- Agrilus thoracicus
- Agrilus tokyoensis
- Agrilus townsendi
- Agrilus toxotes
- Agrilus transimpressus
- Agrilus turnbowi
- Agrilus uhagoni
- Agrilus ukrainensis
- Agrilus vaginalis
- Agrilus vandenberghei
- Agrilus venosus
- Agrilus ventralis
- Agrilus vermiculatus
- Agrilus viridescens
- Agrilus viridicaerulans
- Agrilus viridis
- Agrilus vitellius
- Agrilus vittaticollis
- Agrilus walsinghami
- Agrilus xantholomus
- Agrilus xanthonotus
- Agrilus zigzag
- Agrilus zuluanus


