Aleiodes parasiticus: taxon details and analytics
- Domain
- Kingdom
- Animalia
- Phylum
- Arthropoda
- Class
- Insecta
- Order
- Hymenoptera
- Family
- Braconidae
- Genus
- Aleiodes
- Species
- Aleiodes parasiticus
- Scientific Name
- Aleiodes parasiticus
Summary description from Wikipedia:
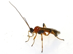
Aleiodes parasiticus
Aleiodes parasiticus is een insect dat behoort tot de orde vliesvleugeligen (Hymenoptera) en de familie van de schildwespen (Braconidae). De wetenschappelijke naam van de soort werd voor het eerst geldig gepubliceerd door Edward Norton in 1869.
...Images from inaturalist.org observations:
We recommend you sign up for this excellent, free service.
Parent Taxon
Sibling Taxa
- Aleiodes abdominalis
- Aleiodes aciculatus
- Aleiodes aclydis
- Aleiodes adorabelleae
- Aleiodes africanus
- Aleiodes akidnus
- Aleiodes albiterminus
- Aleiodes albitibia
- Aleiodes angustipennis
- Aleiodes apicalis
- Aleiodes apiculatus
- Aleiodes arbitrium
- Aleiodes artesiariae
- Aleiodes aterrimus
- Aleiodes atriceps
- Aleiodes atricornis
- Aleiodes atripileatus
- Aleiodes atuin
- Aleiodes bicolor
- Aleiodes binkyi
- Aleiodes burrus
- Aleiodes caboverdensis
- Aleiodes cameronii
- Aleiodes carinatus
- Aleiodes cariniventris
- Aleiodes caudalis
- Aleiodes ceratomiae
- Aleiodes circumscriptus
- Aleiodes colberti
- Aleiodes compressor
- Aleiodes conformis
- Aleiodes coxalis
- Aleiodes crassipes
- Aleiodes cruentus
- Aleiodes deathi
- Aleiodes declanae
- Aleiodes dimidiatus
- Aleiodes dispar
- Aleiodes dissector
- Aleiodes ductor
- Aleiodes earinos
- Aleiodes elleni
- Aleiodes esenbeckii
- Aleiodes euproctis
- Aleiodes eurinus
- Aleiodes falloni
- Aleiodes femoratus
- Aleiodes fernaldellavorax
- Aleiodes flavitarsus
- Aleiodes frosti
- Aleiodes fumialis
- Aleiodes gaga
- Aleiodes gasterator
- Aleiodes gastritor
- Aleiodes geometrae
- Aleiodes gossypii
- Aleiodes granulatus
- Aleiodes graphicus
- Aleiodes gressitti
- Aleiodes harrisinae
- Aleiodes indiscretus
- Aleiodes itamevorus
- Aleiodes khalafi
- Aleiodes laphygmae
- Aleiodes laphypmae
- Aleiodes leptofemur
- Aleiodes lipwigi
- Aleiodes lymantriae
- Aleiodes magratae
- Aleiodes malacosomatos
- Aleiodes mandibularis
- Aleiodes mannegishii
- Aleiodes maritimus
- Aleiodes masneri
- Aleiodes melanopodus
- Aleiodes melanopterus
- Aleiodes miniatus
- Aleiodes molestus
- Aleiodes morti
- Aleiodes nigrinervis
- Aleiodes nigripens
- Aleiodes nigristemmaticum
- Aleiodes nolophanae
- Aleiodes notozophus
- Aleiodes okanoganensis
- Aleiodes pallidator
- Aleiodes palmatoides
- Aleiodes palmatus
- Aleiodes parasiticus
- Aleiodes pardalotus
- Aleiodes perinetensis
- Aleiodes periscelis
- Aleiodes platypterygis
- Aleiodes plurilineatus
- Aleiodes politiceps
- Aleiodes ponderi
- Aleiodes preclarus
- Aleiodes pseudoterminalis
- Aleiodes pteppicymoni
- Aleiodes quadratus
- Aleiodes quasiburrus
- Aleiodes quebecensis
- Aleiodes ridcullyi
- Aleiodes rileyi
- Aleiodes rincewindi
- Aleiodes rossi
- Aleiodes ruficeps
- Aleiodes rufipes
- Aleiodes rufus
- Aleiodes rugulosus
- Aleiodes sanctihyacinthi
- Aleiodes scriptipennis
- Aleiodes scrutator
- Aleiodes selu
- Aleiodes seriatus
- Aleiodes shakirae
- Aleiodes sibiricus
- Aleiodes signatus
- Aleiodes simillimus
- Aleiodes smithi
- Aleiodes sonorensis
- Aleiodes stewarti
- Aleiodes stibbonsi
- Aleiodes stigmator
- Aleiodes terminalis
- Aleiodes testaceus
- Aleiodes texanus
- Aleiodes tmaliaae
- Aleiodes trifasciatus
- Aleiodes tullyi
- Aleiodes tzantza
- Aleiodes unipunctator
- Aleiodes vaughani
- Aleiodes vetinarii
- Aleiodes vierecki
- Aleiodes virginiensis
- Aleiodes wahli
- Aleiodes yalaensis









