Aleochara: taxon details and analytics
- Domain
- Kingdom
- Animalia
- Phylum
- Arthropoda
- Class
- Insecta
- Order
- Coleoptera
- Family
- Staphylinidae
- Genus
- Aleochara
- Species
- Scientific Name
- Aleochara
Summary description from Wikipedia:
Aleochara
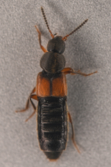
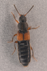
Aleochara is a genus in the beetle family Staphylinidae, the rove beetles. Larvae of Staphylinidae occur in many assorted ecological roles, most being scavengers, predators or carrion feeders, but the larvae of at least those species of Aleochara whose life histories are known are parasitoids. They feed in the puparia of suitable species of flies, killing the host in the process. Adult Aleochara are predators.
Aleochara are found worldwide except in Antarctica. There are at least 150 and possibly more than 400 species in 16 subgenera. The adults of many species can be found near dung or carrion, commonly feeding on the eggs, larvae, and puparia of various scatophagous and necrophagous Diptera.
The most extensively studied aleocharine rove beetle is Aleochara bilineata Gyllenhal, which is a significant biological control agent against some fly pests (notably Delia spp. in the family Anthomyiidae) of agricultural crops in the mustard and cabbage family Brassicaceae, such as cabbage, rutabaga, canola, and many others.
...Aleochara in languages:
- Finnish
- loisvilistäjät
- Korean
- 바수염반날개속
Images from inaturalist.org observations:
We recommend you sign up for this excellent, free service.
Parent Taxon
Sibling Taxa
Child Taxa
- Aleochara
- Aleochara carmanah
- Aleochara clavicornis
- Aleochara daviesi
- Aleochara gracilis
- Aleochara inexspectata
- Aleochara laramiensis
- Aleochara lateralis
- Aleochara mexicana
- Aleochara milleri
- Aleochara ocularis
- Aleochara qatarensis
- Aleochara rubricalis
- Aleochara semivelutina
- Aleochara speculicollis
- Aleochara spissicornis
- Aleochara verberans
- Ceranota
- Coprochara
- Emplenota
- Maseochara
- Polystomota
- Rheochara
- Tinotus
- Xenochara































































































































































