Alloeorhynchus: taxon details and analytics

Domain
Kingdom
Animalia
Phylum
Arthropoda
Class
Insecta
Order
Hemiptera
Family
Nabidae
Genus
Alloeorhynchus
Species
Scientific Name
Alloeorhynchus

Summary description from Wikipedia:

Alloeorhynchus

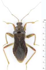
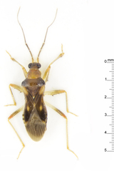
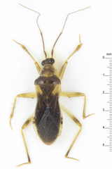
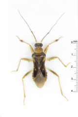
Alloeorhynchus is a genus of damsel bugs in the family Nabidae. There are at least four described species in the genus Alloeorhynchus.

...
 

Alloeorhynchus in languages:

Chinese
異姬蝽屬

Images from inaturalist.org observations:

We recommend you sign up for this excellent, free service.

Alloeorhynchus
©Dianne Clarke, some rights reserved (CC-BY-NC)
Alloeorhynchus
©Shiwan Lu, some rights reserved (CC-BY-NC-SA)
Alloeorhynchus
©Shiwan Lu, some rights reserved (CC-BY-NC-SA)
Alloeorhynchus
©Stefaneakame, some rights reserved (CC-BY-NC)
Alloeorhynchus
©Stefaneakame, some rights reserved (CC-BY-NC)
Alloeorhynchus
©Stefaneakame, some rights reserved (CC-BY-NC)
Alloeorhynchus
©Dianne Clarke, some rights reserved (CC-BY-NC)
Alloeorhynchus
©Dezmond Wells, some rights reserved (CC-BY-NC)
Alloeorhynchus
©Dezmond Wells, some rights reserved (CC-BY-NC)
Alloeorhynchus
©Dezmond Wells, some rights reserved (CC-BY-NC)
Alloeorhynchus
©Dezmond Wells, some rights reserved (CC-BY-NC)
Alloeorhynchus
©Dezmond Wells, some rights reserved (CC-BY-NC)
Alloeorhynchus
©Larney Grenfell, some rights reserved (CC-BY-NC)
Alloeorhynchus
©Dion Maple, some rights reserved (CC-BY-NC)
Alloeorhynchus
©Dezmond Wells, some rights reserved (CC-BY-NC)
Alloeorhynchus
©Dezmond Wells, some rights reserved (CC-BY-NC)
Alloeorhynchus
©Dezmond Wells, some rights reserved (CC-BY-NC)
Alloeorhynchus
©renlei, some rights reserved (CC-BY-NC)
Alloeorhynchus
©Claas Damken, some rights reserved (CC-BY-SA)
Alloeorhynchus
©Claas Damken, some rights reserved (CC-BY-SA)
Alloeorhynchus
©Claas Damken, some rights reserved (CC-BY-SA)
Alloeorhynchus
©Claas Damken, some rights reserved (CC-BY-SA)
Alloeorhynchus
©Claas Damken, some rights reserved (CC-BY-SA)
Alloeorhynchus
©Nick Lambert, some rights reserved (CC-BY-NC-SA)
Alloeorhynchus
©Nick Lambert, some rights reserved (CC-BY-NC-SA)
Alloeorhynchus
©Nick Lambert, some rights reserved (CC-BY-NC-SA)
Alloeorhynchus
©Zoology123, some rights reserved (CC-BY-NC)
Alloeorhynchus
©Nick Lambert, some rights reserved (CC-BY-NC-SA)
Alloeorhynchus
©Nick Lambert, some rights reserved (CC-BY-NC-SA)
Alloeorhynchus
©Nick Lambert, some rights reserved (CC-BY-NC-SA)
Alloeorhynchus
©Nick Lambert, some rights reserved (CC-BY-NC-SA)
Alloeorhynchus
©robynkeke, some rights reserved (CC-BY-NC)
Alloeorhynchus
©robynkeke, some rights reserved (CC-BY-NC)
Alloeorhynchus
©Dianne Clarke, some rights reserved (CC-BY-NC)
Alloeorhynchus
©Dianne Clarke, some rights reserved (CC-BY-NC)
Alloeorhynchus
©Dezmond Wells, some rights reserved (CC-BY-NC)
Alloeorhynchus
©Dezmond Wells, some rights reserved (CC-BY-NC)
Alloeorhynchus
©Dezmond Wells, some rights reserved (CC-BY-NC)
Alloeorhynchus
©Dezmond Wells, some rights reserved (CC-BY-NC)
Alloeorhynchus
©Dianne Clarke, some rights reserved (CC-BY-NC)
Alloeorhynchus
©Dion Maple, some rights reserved (CC-BY-NC)
Alloeorhynchus
©Dion Maple, some rights reserved (CC-BY-NC)
Alloeorhynchus
©Tom JAMONNEAU, some rights reserved (CC-BY-NC)
Alloeorhynchus
©Tom JAMONNEAU, some rights reserved (CC-BY-NC)
Alloeorhynchus
©Tom JAMONNEAU, some rights reserved (CC-BY-NC)
Alloeorhynchus
©Tom JAMONNEAU, some rights reserved (CC-BY-NC)
Alloeorhynchus
©Tom JAMONNEAU, some rights reserved (CC-BY-NC)
Alloeorhynchus
©Tom JAMONNEAU, some rights reserved (CC-BY-NC)
Alloeorhynchus
©Tom JAMONNEAU, some rights reserved (CC-BY-NC)
Alloeorhynchus
©Tom JAMONNEAU, some rights reserved (CC-BY-NC)
Alloeorhynchus
©Tom JAMONNEAU, some rights reserved (CC-BY-NC)
Alloeorhynchus
©Tom JAMONNEAU, some rights reserved (CC-BY-NC)
Alloeorhynchus
©Tom JAMONNEAU, some rights reserved (CC-BY-NC)
Alloeorhynchus
©Tom JAMONNEAU, some rights reserved (CC-BY-NC)
Alloeorhynchus
©Tom JAMONNEAU, some rights reserved (CC-BY-NC)
Alloeorhynchus
©Tom JAMONNEAU, some rights reserved (CC-BY-NC)
Alloeorhynchus
©Tom JAMONNEAU, some rights reserved (CC-BY-NC)
Alloeorhynchus
©Tom JAMONNEAU, some rights reserved (CC-BY-NC)
Alloeorhynchus
©Tom JAMONNEAU, some rights reserved (CC-BY-NC)
Alloeorhynchus
©Tom JAMONNEAU, some rights reserved (CC-BY-NC)
Alloeorhynchus
©Claas Damken, some rights reserved (CC-BY-SA)
Alloeorhynchus
©Nick Lambert, some rights reserved (CC-BY-NC-SA)
Alloeorhynchus
©Nick Lambert, some rights reserved (CC-BY-NC-SA)
Alloeorhynchus
©Nick Lambert, some rights reserved (CC-BY-NC-SA)
Alloeorhynchus
©Nick Lambert, some rights reserved (CC-BY-NC-SA)
Alloeorhynchus
©Coronado Govaerts, some rights reserved (CC-BY-NC)