Amphibolips spinosa: taxon details and analytics
- Domain
- Kingdom
- Animalia
- Phylum
- Arthropoda
- Class
- Insecta
- Order
- Hymenoptera
- Family
- Cynipidae
- Genus
- Amphibolips
- Species
- Amphibolips spinosa
- Scientific Name
- Amphibolips spinosa
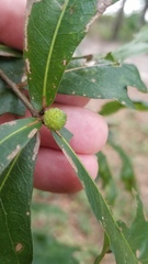
Images from inaturalist.org observations:
We recommend you sign up for this excellent, free service.
Parent Taxon
Sibling Taxa
- Amphibolips acuminata
- Amphibolips cibriani
- Amphibolips confluenta
- Amphibolips cookii
- Amphibolips dampfi
- Amphibolips elatus
- Amphibolips ellipsoidalis
- Amphibolips femoratus
- Amphibolips fusus
- Amphibolips gainesi
- Amphibolips globulus
- Amphibolips globus
- Amphibolips hidalgoensis
- Amphibolips jubatus
- Amphibolips kinseyi
- Amphibolips magnigalla
- Amphibolips maturus
- Amphibolips melanocera
- Amphibolips murata
- Amphibolips nassa
- Amphibolips nebris
- Amphibolips nigra
- Amphibolips nubilipennis
- Amphibolips palmeri
- Amphibolips pistrix
- Amphibolips quercuscinerea
- Amphibolips quercuscitriformis
- Amphibolips quercuscoelebs
- Amphibolips quercusfuliginosa
- Amphibolips quercusilicifoliae
- Amphibolips quercusinanis
- Amphibolips quercusjuglans
- Amphibolips quercusostensackenii
- Amphibolips quercuspomiformis
- Amphibolips quercusracemaria
- Amphibolips quercusrugosa
- Amphibolips quercusspongifica
- Amphibolips spinosa
- Amphibolips tarasco
- Amphibolips tinctoriae
- Amphibolips trizonata




























