Aneflomorpha tenuis: taxon details and analytics
- Domain
- Kingdom
- Animalia
- Phylum
- Arthropoda
- Class
- Insecta
- Order
- Coleoptera
- Family
- Cerambycidae
- Genus
- Aneflomorpha
- Species
- Aneflomorpha tenuis
- Scientific Name
- Aneflomorpha tenuis
Summary description from Wikipedia:
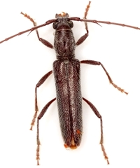
Aneflomorpha tenuis
Aneflomorpha tenuis is a species of beetle in the family Cerambycidae. It was described by John Lawrence LeConte in 1854.
...Images from inaturalist.org observations:
We recommend you sign up for this excellent, free service.
Parent Taxon
Sibling Taxa
- Aneflomorpha aculeata
- Aneflomorpha australis
- Aneflomorpha brevipila
- Aneflomorpha cazieri
- Aneflomorpha citrana
- Aneflomorpha cribellata
- Aneflomorpha crinita
- Aneflomorpha crypta
- Aneflomorpha delongi
- Aneflomorpha exilis
- Aneflomorpha fisheri
- Aneflomorpha giesberti
- Aneflomorpha gilana
- Aneflomorpha gracilis
- Aneflomorpha grandicolle
- Aneflomorpha hovorei
- Aneflomorpha lineare
- Aneflomorpha linearis
- Aneflomorpha linsleyae
- Aneflomorpha longispina
- Aneflomorpha longitudinis
- Aneflomorpha luteicornis
- Aneflomorpha mexicana
- Aneflomorpha minuta
- Aneflomorpha modica
- Aneflomorpha paralinearis
- Aneflomorpha parvipunctata
- Aneflomorpha preclara
- Aneflomorpha pueblae
- Aneflomorpha rectilinea
- Aneflomorpha rosaliae
- Aneflomorpha ruficollis
- Aneflomorpha rufipes
- Aneflomorpha seminuda
- Aneflomorpha semirufa
- Aneflomorpha sinaloae
- Aneflomorpha spinicornis
- Aneflomorpha subpubescens
- Aneflomorpha tenuis
- Aneflomorpha texana
- Aneflomorpha unispinosa
- Aneflomorpha volitans
- Aneflomorpha wappesi
- Aneflomorpha yumae











