Aneflus pubescens: taxon details and analytics
- Domain
- Kingdom
- Animalia
- Phylum
- Arthropoda
- Class
- Insecta
- Order
- Coleoptera
- Family
- Cerambycidae
- Genus
- Aneflus
- Species
- Aneflus pubescens
- Scientific Name
- Aneflus pubescens
Summary description from Wikipedia:
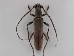
Aneflus pubescens
Aneflus pubescens is a species of beetle in the family Cerambycidae. It was described by Linsley in 1934.
...Parent Taxon
Sibling Taxa
- Aneflus basicornis
- Aneflus bullocki
- Aneflus calvatus
- Aneflus cylindricollis
- Aneflus glabropunctatus
- Aneflus humeralis
- Aneflus levettei
- Aneflus longissimus
- Aneflus maryannae
- Aneflus minutivestis
- Aneflus nivarius
- Aneflus obscurus
- Aneflus paracalvatus
- Aneflus planus
- Aneflus poriferus
- Aneflus prolixus
- Aneflus protensus
- Aneflus pubescens
- Aneflus rugicollis
- Aneflus sericatus
- Aneflus sonoranus
- Aneflus variegatus



