Skip to the navigation
.
Skip to the content
.
BioSurveys.org
Surveying life, socially, locally.
places search
taxa search
Color
Sign In
Anostirus eschscholtzii: taxon details and analytics
Domain
Kingdom
Animalia
Phylum
Arthropoda
Class
Insecta
Order
Coleoptera
Family
Elateridae
Genus
Anostirus
Species
Anostirus eschscholtzii
Scientific Name
Anostirus eschscholtzii
Images from inaturalist.org observations:
We recommend you sign up for this excellent, free service.
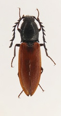
©Vahe Martirosyan, some rights reserved (CC-BY-NC-ND)
Parent Taxon
Anostirus
Sibling Taxa
Anostirus bipunctatus
Anostirus boeberi
Anostirus castaneus
Anostirus eschscholtzii
Anostirus gabilloti
Anostirus gracilicollis
Anostirus haemapterus
Anostirus purpureus
Anostirus sulphuripennis
Anostirus suvorovi
Anostirus vernalis
Top Observation Places
Share
Tweet
Back to Top
Biosurveys - Crowd Sourced Local Biogeography Login