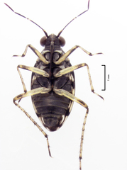
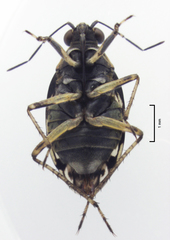
Aoteasalda maculipennis: taxon details and analytics
- Domain
- Kingdom
- Animalia
- Phylum
- Arthropoda
- Class
- Insecta
- Order
- Hemiptera
- Family
- Saldidae
- Genus
- Aoteasalda
- Species
- Aoteasalda maculipennis
- Scientific Name
- Aoteasalda maculipennis
Images from inaturalist.org observations:
We recommend you sign up for this excellent, free service.






