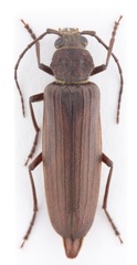
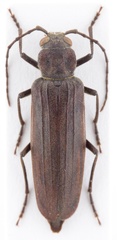
Arhopalus hispaniolae: taxon details and analytics
- Domain
- Kingdom
- Animalia
- Phylum
- Arthropoda
- Class
- Insecta
- Order
- Coleoptera
- Family
- Cerambycidae
- Genus
- Arhopalus
- Species
- Arhopalus hispaniolae
- Scientific Name
- Arhopalus hispaniolae
Images from inaturalist.org observations:
We recommend you sign up for this excellent, free service.




