Asilidae: taxon details and analytics
- Domain
- Kingdom
- Animalia
- Phylum
- Arthropoda
- Class
- Insecta
- Order
- Diptera
- Family
- Asilidae
- Genus
- Species
- Scientific Name
- Asilidae
Summary description from Wikipedia:
Asilidae
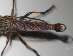
The Asilidae are the robber fly family, also called assassin flies. They are powerfully built, bristly flies with a short, stout proboscis enclosing the sharp, sucking hypopharynx. The name "robber flies" reflects their expert predatory habits; they feed mainly or exclusively on other insects and, as a rule, they wait in ambush and catch their prey in flight.
...Asilidae in languages:
- Afrikaans
- Roofvlieë
- Belarusian
- Ктыры
- Bokmål
- rovfluer
- Bulgarian
- Хищни мухи
- Chinese
- 食蟲虻科 / 盜虻科
- Czech
- roupcovití
- Danish
- Rovfluer
- Dutch
- Roofvliegen
- English
- Robber Flies
- English
- Assassin Flies
- English
- Robber Fly
- Finnish
- petokärpäset
- French
- Asilidés
- French
- Mouches à toison
- German
- Raubfliegen
- Hebrew
- טרפניים (זבוב טורף )
- Japanese
- ムシヒキアブ科
- Korean
- 파리매과
- Lithuanian
- Musės plėšrūnės
- Modern Greek
- Ασιλίδες
- Polish
- Łowikowate
- Portuguese
- Moscas-Predadoras
- Russian
- Ктыри
- Swedish
- Rovflugor
- Thai
- วงศ์ แมลงวันหัวบุบ
- Ukrainian
- Волочницеві
- Ukrainian
- Ктиреві
Images from inaturalist.org observations:
We recommend you sign up for this excellent, free service.
Parent Taxon
Sibling Taxa
Child Taxa
Top Observation Places
- College Station
- Kleinzschocher
- Großzschocher
- Trento
- Chattanooga
- Shanghai
- Zhabei
- San Salvador
- Kottayam
- Ivry-sur-Seine
- Saint George
- Prenzlauer Berg
- Portland
- Hermosillo
- Bloomington
- Wiesbaden
- Brantford
- Taunton
- Turku
- South Hill
- Frankfurt am Main
- Vancouver
- Santa Fe
- New Plymouth
- Omaha
- Mérida
- Chōfu
- Toulon
- Nanterre
- Rueil-Malmaison
- Nanaimo
- Lake Forest
- Aliso Viejo
- Zumpango
- Pomona
- Christchurch
- West Raleigh
- Cary
- Medellín
- Bello
- Tepic
- Hamden
- Pinetown
- Ayacucho
- Graz
- Riverside
- Cheonan
- Flagstaff
- Warsaw
- Mokotów































































































































































