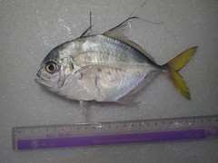
Atropus hedlandensis: taxon details and analytics
- Domain
- Kingdom
- Animalia
- Phylum
- Chordata
- Class
- Actinopterygii
- Order
- Carangiformes
- Family
- Carangidae
- Genus
- Atropus
- Species
- Atropus hedlandensis
- Scientific Name
- Atropus hedlandensis
Atropus hedlandensis in languages:
- Chinese
- 海蘭德若鰺
- Chinese
- 少耙若鰺
- Czech
- kranas šelfový
- English
- onion kingfish
- English
- Port Hedland Trevally
- English
- Bump-nosed Trevally
- English
- Long-finned Trevally
- English
- Epaulet Trevally
- English
- bumpnose kingfish
- English
- bumpnose trevally
- Japanese
- リュウキュウヨロイアジ
Images from inaturalist.org observations:
We recommend you sign up for this excellent, free service.



















