Attalusinus mexicanus: taxon details and analytics
- Domain
- Kingdom
- Animalia
- Phylum
- Arthropoda
- Class
- Insecta
- Order
- Coleoptera
- Family
- Melyridae
- Genus
- Attalusinus
- Species
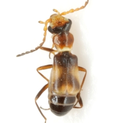
- Attalusinus mexicanus
- Scientific Name
- Attalusinus mexicanus
Parent Taxon
Sibling Taxa
- Attalusinus boletiformis
- Attalusinus dentipes
- Attalusinus diabolicomimus
- Attalusinus diabolicus
- Attalusinus endroedyi
- Attalusinus epistomalis
- Attalusinus hantamensis
- Attalusinus kokerboomensis
- Attalusinus mexicanus
- Attalusinus nodifer
- Attalusinus penrithae
- Attalusinus pretorianus
- Attalusinus submarginatus
- Attalusinus troglopsiformis
- Attalusinus vanviegeni


