Axyris amaranthoides: taxon details and analytics
- Domain
- Kingdom
- Plantae
- Phylum
- Tracheophyta
- Class
- Magnoliopsida
- Order
- Caryophyllales
- Family
- Amaranthaceae
- Genus
- Axyris
- Species
- Axyris amaranthoides
- Scientific Name
- Axyris amaranthoides
Summary description from Wikipedia:
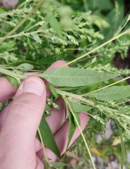
Axyris amaranthoides
Axyris amaranthoides, commonly known as Russian pigweed and upright axyris, is a species of flowering plant in the family Amaranthaceae, that has been introduced to North America. It was introduced into Manitoba in 1886 and has since spread to other provinces in Canada and the United States.
...Axyris amaranthoides in languages:
- Czech
- bříšť sibiřský
- Dutch
- Hoornmelde
- English
- Russian-pigweed
- Finnish
- hörtsö
- French
- ansérine de Russie
- Japanese
- イヌホウキギ
- Russian
- Безвкусица щирицевая
- Swedish
- amarantmålla
Images from inaturalist.org observations:
We recommend you sign up for this excellent, free service.































































































































































