Belopherus militaris: taxon details and analytics

Domain
Kingdom
Animalia
Phylum
Arthropoda
Class
Insecta
Order
Coleoptera
Family
Brentidae
Genus
Belopherus
Species
Belopherus militaris
Scientific Name
Belopherus militaris

Images from inaturalist.org observations:

We recommend you sign up for this excellent, free service.

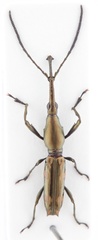
Belopherus militaris
©Martin Reith, some rights reserved (CC-BY-NC)
Belopherus militaris
©Martin Reith, some rights reserved (CC-BY-NC)
Belopherus militaris
©prioninae_eu, some rights reserved (CC-BY-NC)
Belopherus militaris
©Martin Reith, some rights reserved (CC-BY-NC)
Belopherus militaris
©Martin Reith, some rights reserved (CC-BY-NC)
Belopherus militaris
©Martin Reith, some rights reserved (CC-BY-NC)
Belopherus militaris
©Martin Reith, some rights reserved (CC-BY-NC)

Parent Taxon

Top Observation Places