Berytinus: taxon details and analytics

Domain
Kingdom
Animalia
Phylum
Arthropoda
Class
Insecta
Order
Hemiptera
Family
Berytidae
Genus
Berytinus
Species
Scientific Name
Berytinus

Summary description from Wikipedia:

Berytinus

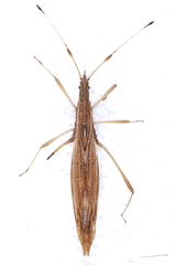
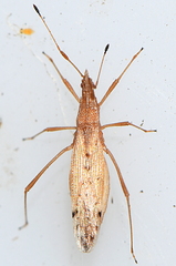
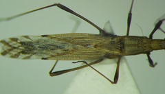
Berytinus is a genus of stilt bugs in the family Berytidae. There are about 12 described species in Berytinus.

...
 

Berytinus in languages:

Korean
참실노린재속

Images from inaturalist.org observations:

We recommend you sign up for this excellent, free service.

Berytinus
©Matthew Prince, some rights reserved (CC-BY-NC)
Berytinus
©Matthew Prince, some rights reserved (CC-BY-NC)
Berytinus
©André MIQUET, some rights reserved (CC-BY-NC)
Berytinus
©André MIQUET, some rights reserved (CC-BY-NC)
Berytinus
©André MIQUET, some rights reserved (CC-BY-NC)
Berytinus
©André MIQUET, some rights reserved (CC-BY-NC)
Berytinus
©l3renda, some rights reserved (CC-BY-NC)
Berytinus
©l3renda, some rights reserved (CC-BY-NC)
Berytinus
©l3renda, some rights reserved (CC-BY-NC)
Berytinus
©s173, some rights reserved (CC-BY)
Berytinus
©nuujaka, some rights reserved (CC-BY-NC)
Berytinus
©nuujaka, some rights reserved (CC-BY-NC)
Berytinus
©nuujaka, some rights reserved (CC-BY-NC)
Berytinus
©Соколков Юрий Павлович, some rights reserved (CC-BY-NC)
Berytinus
©Соколков Юрий Павлович, some rights reserved (CC-BY-NC)
Berytinus
©Соколков Юрий Павлович, some rights reserved (CC-BY-NC)
Berytinus
©Sokolov Yuriy Ivanovich, some rights reserved (CC-BY-NC)
Berytinus
©Sokolov Yuriy Ivanovich, some rights reserved (CC-BY-NC)
Berytinus
©Sokolov Yuriy Ivanovich, some rights reserved (CC-BY-NC)
Berytinus
©Christine Hecher, some rights reserved (CC-BY-NC)
Berytinus
©Christine Hecher, some rights reserved (CC-BY-NC)
Berytinus
©Christine Hecher, some rights reserved (CC-BY-NC)
Berytinus
©Christine Hecher, some rights reserved (CC-BY-NC)
Berytinus
©Christine Hecher, some rights reserved (CC-BY-NC)
Berytinus
©joshh17, some rights reserved (CC-BY)
Berytinus
©Thijs Valkenburg, some rights reserved (CC-BY-NC)
Berytinus
©Thijs Valkenburg, some rights reserved (CC-BY-NC)
Berytinus
©bobasil, some rights reserved (CC-BY-NC)
Berytinus
©bobasil, some rights reserved (CC-BY-NC)
Berytinus
©bobasil, some rights reserved (CC-BY-NC)
Berytinus
©André MIQUET, some rights reserved (CC-BY-NC)
Berytinus
©André MIQUET, some rights reserved (CC-BY-NC)
Berytinus
©André MIQUET, some rights reserved (CC-BY-NC)
Berytinus
©Σάββας Ζαφειρίου (Savvas Zafeiriou), some rights reserved (CC-BY-NC)
Berytinus
©Σάββας Ζαφειρίου (Savvas Zafeiriou), some rights reserved (CC-BY-NC)
Berytinus
©Simon Oliver, some rights reserved (CC-BY-NC)
Berytinus
©Θάνος Μπουλάς, some rights reserved (CC-BY-NC)
Berytinus
©Sylvain G, some rights reserved (CC-BY-NC)
Berytinus
©Konrad Zobel, some rights reserved (CC-BY-NC-ND)
Berytinus
©Konrad Zobel, some rights reserved (CC-BY-NC-ND)
Berytinus
©André MIQUET, some rights reserved (CC-BY-NC)
Berytinus
©André MIQUET, some rights reserved (CC-BY-NC)
Berytinus
©André MIQUET, some rights reserved (CC-BY-NC)
Berytinus
©André MIQUET, some rights reserved (CC-BY-NC)
Berytinus
©André MIQUET, some rights reserved (CC-BY-NC)
Berytinus
©André MIQUET, some rights reserved (CC-BY-NC)
Berytinus
©André MIQUET, some rights reserved (CC-BY-NC)
Berytinus
©André MIQUET, some rights reserved (CC-BY-NC)
Berytinus
©André MIQUET, some rights reserved (CC-BY-NC)
Berytinus
©Gábor Keresztes, some rights reserved (CC-BY-NC)
Berytinus
©Gábor Keresztes, some rights reserved (CC-BY-NC)
Berytinus
©Gábor Keresztes, some rights reserved (CC-BY-NC)
Berytinus
©philippe_geniez, some rights reserved (CC-BY-NC)
Berytinus
©Konstantin Grebennikov, some rights reserved (CC-BY)
Berytinus
©Konstantin Grebennikov, some rights reserved (CC-BY)
Berytinus
©Konstantin Grebennikov, some rights reserved (CC-BY)
Berytinus
©Konstantin Grebennikov, some rights reserved (CC-BY)
Berytinus
©Konstantin Grebennikov, some rights reserved (CC-BY)
Berytinus
©Konstantin Grebennikov, some rights reserved (CC-BY)
Berytinus
©Konstantin Grebennikov, some rights reserved (CC-BY)
Berytinus
©Konstantin Grebennikov, some rights reserved (CC-BY)
Berytinus
©philippe_geniez, some rights reserved (CC-BY-NC)
Berytinus
©André MIQUET, some rights reserved (CC-BY-NC)
Berytinus
©André MIQUET, some rights reserved (CC-BY-NC)
Berytinus
©André MIQUET, some rights reserved (CC-BY-NC)
Berytinus
©André MIQUET, some rights reserved (CC-BY-NC)
Berytinus
©André MIQUET, some rights reserved (CC-BY-NC)
Berytinus
©André MIQUET, some rights reserved (CC-BY-NC)
Berytinus
©André MIQUET, some rights reserved (CC-BY-NC)
Berytinus
©André MIQUET, some rights reserved (CC-BY-NC)
Berytinus
©André MIQUET, some rights reserved (CC-BY-NC)
Berytinus
©André MIQUET, some rights reserved (CC-BY-NC)
Berytinus
©André MIQUET, some rights reserved (CC-BY-NC)
Berytinus
©André MIQUET, some rights reserved (CC-BY-NC)
Berytinus
©Nikolai Vladimirov, some rights reserved (CC-BY-NC)
Berytinus
©libby_orcutt, some rights reserved (CC-BY-NC)
Berytinus
©libby_orcutt, some rights reserved (CC-BY-NC)
Berytinus
©libby_orcutt, some rights reserved (CC-BY-NC)
Berytinus
©Giorgio, some rights reserved (CC-BY-NC)
Berytinus
©Giorgio, some rights reserved (CC-BY-NC)
Berytinus
©Giorgio, some rights reserved (CC-BY-NC)
Berytinus
©Nikolai Vladimirov, some rights reserved (CC-BY-NC)
Berytinus
©Emanuele Santarelli, some rights reserved (CC-BY-SA)
Berytinus
©Nikolai Vladimirov, some rights reserved (CC-BY-NC)
Berytinus
©Nikolai Vladimirov, some rights reserved (CC-BY-NC)
Berytinus
©Paul Cook, some rights reserved (CC-BY-NC-ND)
Berytinus
©Paul Cook, some rights reserved (CC-BY-NC-ND)
Berytinus
©Paul Cook, some rights reserved (CC-BY-NC-ND)
Berytinus
©Paul Cook, some rights reserved (CC-BY-NC-ND)
Berytinus
©Roman, some rights reserved (CC-BY)
Berytinus
©Lutautami, some rights reserved (CC-BY-NC)
Berytinus
©Lutautami, some rights reserved (CC-BY-NC)
Berytinus
©Lutautami, some rights reserved (CC-BY-NC)
Berytinus
©Lutautami, some rights reserved (CC-BY-NC)
Berytinus
©danamihaimileazachi, some rights reserved (CC-BY-NC)
Berytinus
©Pascal Dubois, some rights reserved (CC-BY-NC)
Berytinus
©mademoiselse, some rights reserved (CC-BY-NC)
Berytinus
©sarah46150, some rights reserved (CC-BY-NC)
Berytinus
©danamihaimileazachi, some rights reserved (CC-BY-NC)
Berytinus
©Peter Gabler, some rights reserved (CC0)
Berytinus
©Peter Gabler, some rights reserved (CC0)
Berytinus
©Peter Gabler, some rights reserved (CC0)
Berytinus
©Peter Gabler, some rights reserved (CC0)
Berytinus
©Peter Gabler, some rights reserved (CC0)
Berytinus
©danamihaimileazachi, some rights reserved (CC-BY-NC)
Berytinus
©danamihaimileazachi, some rights reserved (CC-BY-NC)
Berytinus
©danamihaimileazachi, some rights reserved (CC-BY-NC)
Berytinus
©danamihaimileazachi, some rights reserved (CC-BY-NC)
Berytinus
©danamihaimileazachi, some rights reserved (CC-BY-NC)
Berytinus
©danamihaimileazachi, some rights reserved (CC-BY-NC)
Berytinus
©danamihaimileazachi, some rights reserved (CC-BY-NC)
Berytinus
©danamihaimileazachi, some rights reserved (CC-BY-NC)
Berytinus
©danamihaimileazachi, some rights reserved (CC-BY-NC)
Berytinus
©Ryzhkov Oleg, some rights reserved (CC-BY-NC)
Berytinus
©Peter Gabler, some rights reserved (CC0)
Berytinus
©Ryzhkov Oleg, some rights reserved (CC-BY-NC)
Berytinus
©Ryzhkov Oleg, some rights reserved (CC-BY-NC)
Berytinus
©Markus Krieger, some rights reserved (CC-BY)
Berytinus
©Markus Krieger, some rights reserved (CC-BY)
Berytinus
©Markus Krieger, some rights reserved (CC-BY)
Berytinus
©Markus Krieger, some rights reserved (CC-BY)
Berytinus
©Peter Gabler, some rights reserved (CC0)
Berytinus
©Ryzhkov Oleg, some rights reserved (CC-BY-NC)
Berytinus
©Ryzhkov Oleg, some rights reserved (CC-BY-NC)
Berytinus
©Ryzhkov Oleg, some rights reserved (CC-BY-NC)
Berytinus
©Antonio J. Pizarro Méndez, some rights reserved (CC-BY-NC)
Berytinus
©David, some rights reserved (CC-BY-NC)
Berytinus
©esdena, some rights reserved (CC-BY-NC)
Berytinus
©esdena, some rights reserved (CC-BY-NC)
Berytinus
©Marie Lou Legrand, some rights reserved (CC-BY-NC)
Berytinus
©Marie Lou Legrand, some rights reserved (CC-BY-NC)
Berytinus
©Marie Lou Legrand, some rights reserved (CC-BY-NC)
Berytinus
©Konstantin Grebennikov, some rights reserved (CC-BY)
Berytinus
©esdena, some rights reserved (CC-BY-NC)
Berytinus
©Simon Oliver, some rights reserved (CC-BY-NC)
Berytinus
©Simon Oliver, some rights reserved (CC-BY-NC)
Berytinus
©Simon Oliver, some rights reserved (CC-BY-NC)
Berytinus
©Simon Oliver, some rights reserved (CC-BY-NC)
Berytinus
©Simon Oliver, some rights reserved (CC-BY-NC)
Berytinus
©Konstantin Grebennikov, some rights reserved (CC-BY)
Berytinus
©Konstantin Grebennikov, some rights reserved (CC-BY)
Berytinus
©Konstantin Grebennikov, some rights reserved (CC-BY)
Berytinus
©Simon Oliver, some rights reserved (CC-BY-NC)
Berytinus
©Konstantin Grebennikov, some rights reserved (CC-BY)
Berytinus
©Konstantin Grebennikov, some rights reserved (CC-BY)
Berytinus
©Konstantin Grebennikov, some rights reserved (CC-BY)
Berytinus
©Konstantin Grebennikov, some rights reserved (CC-BY)
Berytinus
©Konstantin Grebennikov, some rights reserved (CC-BY)
Berytinus
©Konstantin Grebennikov, some rights reserved (CC-BY)
Berytinus
©Konstantin Grebennikov, some rights reserved (CC-BY)
Berytinus
©Konstantin Grebennikov, some rights reserved (CC-BY)
Berytinus
©Konstantin Grebennikov, some rights reserved (CC-BY)
Berytinus
©Konstantin Grebennikov, some rights reserved (CC-BY)
Berytinus
©Konstantin Grebennikov, some rights reserved (CC-BY)
Berytinus
©Konstantin Grebennikov, some rights reserved (CC-BY)
Berytinus
©Konstantin Grebennikov, some rights reserved (CC-BY)
Berytinus
©Konstantin Grebennikov, some rights reserved (CC-BY)
Berytinus
©Konstantin Grebennikov, some rights reserved (CC-BY)
Berytinus
©Konstantin Grebennikov, some rights reserved (CC-BY)
Berytinus
©Konstantin Grebennikov, some rights reserved (CC-BY)

Parent Taxon

Top Observation Places