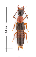
Bisnius blandus: taxon details and analytics
- Domain
- Kingdom
- Animalia
- Phylum
- Arthropoda
- Class
- Insecta
- Order
- Coleoptera
- Family
- Staphylinidae
- Genus
- Bisnius
- Species
- Bisnius blandus
- Scientific Name
- Bisnius blandus
Summary description from Wikipedia:
Images from inaturalist.org observations:
We recommend you sign up for this excellent, free service.
Parent Taxon
Sibling Taxa
- Bisnius agenor
- Bisnius albionicus
- Bisnius bassus
- Bisnius bion
- Bisnius blandus
- Bisnius cephalicus
- Bisnius cephalotes
- Bisnius crestonensis
- Bisnius diversipennis
- Bisnius epeus
- Bisnius fimetarius
- Bisnius hesperidum
- Bisnius hyperboreus
- Bisnius inquietus
- Bisnius instabilis
- Bisnius lautus
- Bisnius nigriventris
- Bisnius nitidulus
- Bisnius palmi
- Bisnius parcus
- Bisnius picicornis
- Bisnius puella
- Bisnius pugetensis
- Bisnius quediinus
- Bisnius rainieri
- Bisnius scribae
- Bisnius siegwaldii
- Bisnius sordidus
- Bisnius spermophili
- Bisnius stacesmithi
- Bisnius subuliformis
- Bisnius tereus
- Bisnius versutus
- Bisnius zhuk









































