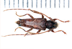
Blabia: taxon details and analytics
- Domain
- Kingdom
- Animalia
- Phylum
- Arthropoda
- Class
- Insecta
- Order
- Coleoptera
- Family
- Cerambycidae
- Genus
- Blabia
- Species
- Scientific Name
- Blabia
Parent Taxon
Sibling Taxa
- Acaua
- Aconopteroides
- Aconopterus
- Adjinga
- Alice
- Alloblabia
- Allotigrinestola
- Amblymora
- Amblymoropsis
- Amymoma
- Anacasta
- Anaespogonius
- Anaesthetis
- Anaesthetobrium
- Anisopeplus
- Aphronastes
- Aragea
- Arhopaloscelis
- Asaperdina
- Atelodesmis
- Atimiliopsis
- Atimiola
- Baraeomimus
- Belodasys
- Beloderoides
- Blabia
- Blabicentrus
- Bonipogonius
- Bucynthia
- Bulborhodopis
- Caledoamblymora
- Callapoecus
- Catognatha
- Ceiupaba
- Cervoglenea
- Chaetacanthidius
- Cicatrisestola
- Cicatrisestoloides
- Cicuiara
- Cleidaria
- Clermontia
- Clytosemia
- Coeloprocta
- Cotyschnolea
- Crinotarsus
- Cristatosybra
- Cristorhodopina
- Curuapira
- Cylindilla
- Cymatonycha
- Cyocyphax
- Desmiphora
- Diadelia
- Diadelioides
- Diadeliomimus
- Diliolophus
- Disgregus
- Dolichestola
- Dorcaschesis
- Dysthaeta
- Ectatina
- Ectatosia
- Epicasta
- Essisus
- Estola
- Estoloides
- Eupogonius
- Falsestoloides
- Gibbestola
- Gibbestoloides
- Graphidessa
- Icublabia
- Illaena
- Inermestola
- Inermestoloides
- Ischnolea
- Kerodiadelia
- Languriomiccolamia
- Malthonea
- Mesolamia
- Metalamia
- Meton
- Miccolamia
- Mimacartus
- Mimectatina
- Mimestoloides
- Mimogmodera
- Mimostedes
- Neissa
- Neocolobura
- Neodiadelia
- Nepagyrtes
- Nonyma
- Nyoma
- Oricopis
- Paramblymora
- Parectatosia
- Parestola
- Pentacosmia
- Penthides
- Phyxium
- Pogonillus
- Protumida
- Psenocerus
- Pseudanaesthetis
- Pseudestoloides
- Pseudoterinaea
- Rhopaloscelis
- Rileyellus
- Ropicomorphoides
- Rosalbopsis
- Similonedine
- Sophronica
- Sophronicoides
- Sophronisca
- Spinestoloides
- Stenidea
- Stenideogmodera
- Stereomerus
- Sybrocentrura
- Taelosilla
- Tesapeus
- Tetrorea
- Tigrinestola
- Trichestola
- Trichostenideus
- Unelcus
- Velora
- Wappesellus
- Zotalemimon



