Blosyropus spinosus: taxon details and analytics
- Domain
- Kingdom
- Animalia
- Phylum
- Arthropoda
- Class
- Insecta
- Order
- Coleoptera
- Family
- Cerambycidae
- Genus
- Blosyropus
- Species
- Blosyropus spinosus
- Scientific Name
- Blosyropus spinosus
Summary description from Wikipedia:
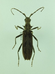
Blosyropus spinosus
Blosyropus spinosus, also known as the spiny longhorn or spiny silver-pine borer, is a rare species of longhorn beetle endemic to New Zealand. It has no specific Māori name, but the term for large longhorns of this type are howaka and kapapa.
...Blosyropus spinosus in languages:
- English
- Spiny Longhorn
Images from inaturalist.org observations:
We recommend you sign up for this excellent, free service.
























































