Skip to the navigation
.
Skip to the content
.
BioSurveys.org
Surveying life, socially, locally.
places search
taxa search
Color
Sign In
Cacostola lineata: taxon details and analytics
Domain
Kingdom
Animalia
Phylum
Arthropoda
Class
Insecta
Order
Coleoptera
Family
Cerambycidae
Genus
Cacostola
Species
Cacostola lineata
Scientific Name
Cacostola lineata
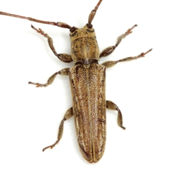
Images from inaturalist.org observations:
We recommend you sign up for this excellent, free service.
©Mike Quinn, Austin, TX, some rights reserved (CC-BY-NC)
Parent Taxon
Cacostola
Sibling Taxa
Cacostola janzeni
Cacostola lineata
Cacostola mexicana
Cacostola nelsoni
Cacostola rugicollis
Cacostola salicicola
Cacostola vagelineata
Cacostola volvula
Top Observation Places
Share
Tweet
Back to Top
Biosurveys - Crowd Sourced Local Biogeography Login