Callipogonius cornutus: taxon details and analytics
- Domain
- Kingdom
- Animalia
- Phylum
- Arthropoda
- Class
- Insecta
- Order
- Coleoptera
- Family
- Cerambycidae
- Genus
- Callipogonius
- Species
- Callipogonius cornutus
- Scientific Name
- Callipogonius cornutus
Summary description from Wikipedia:
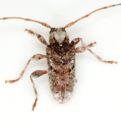
Callipogonius cornutus
Callipogonius cornutus is a species of beetle in the family Cerambycidae. It was described by Linsley in 1930. It is known from United States and Mexico.
...

