Skip to the navigation
.
Skip to the content
.
BioSurveys.org
Surveying life, socially, locally.
places search
taxa search
Color
Sign In
Calocerambyx hauseri: taxon details and analytics
Domain
Kingdom
Animalia
Phylum
Arthropoda
Class
Insecta
Order
Coleoptera
Family
Cerambycidae
Genus
Calocerambyx
Species
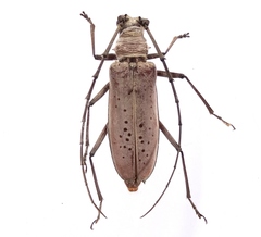
Calocerambyx hauseri
Scientific Name
Calocerambyx hauseri
Images from inaturalist.org observations:
We recommend you sign up for this excellent, free service.
©Vadim, some rights reserved (CC-BY-SA)
©martinmoscovich, some rights reserved (CC-BY-NC)
Parent Taxon
Calocerambyx
Sibling Taxa
Calocerambyx hauseri
Top Observation Places
Share
Tweet
Back to Top
Biosurveys - Crowd Sourced Local Biogeography Login