Calotomus carolinus: taxon details and analytics
- Domain
- Kingdom
- Animalia
- Phylum
- Chordata
- Class
- Actinopterygii
- Order
- Perciformes
- Family
- Labridae
- Genus
- Calotomus
- Species
- Calotomus carolinus
- Scientific Name
- Calotomus carolinus
Summary description from Wikipedia:
Calotomus carolinus
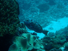
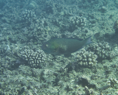
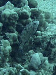
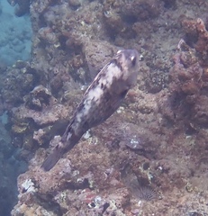
Calotomus carolinus, commonly known as Carolines parrotfish, is a species of marine ray-finned fish, a parrotfish, in the family Scaridae. It is also known as the starry-eye parrotfish, stareye parrotfish, bucktooth parrotfish, Christmas parrotfish or marbled parrotfish. Since the Calotomus carolinus is known across the Pacific, it also has its own name in many native languages for example, it is called a panuhunuhunu in the Hawaiian language.
...Calotomus carolinus in languages:
- Czech
- ploskozubec hvězdooký
- English
- Stareye Parrotfish
- English
- Starry-eye Parrotfish
- English
- Star-eye Parrotfish
- English
- Carolines Parrotfish
- French
- Perroquet des Carolines
- Japanese
- タイワンブダイ
- Swahili
- Pono
- Thai
- ปลานกแก้วตาดาว
Images from inaturalist.org observations:
We recommend you sign up for this excellent, free service.





























































































































































