Caryomyia caryae: taxon details and analytics

Domain
Kingdom
Animalia
Phylum
Arthropoda
Class
Insecta
Order
Diptera
Family
Cecidomyiidae
Genus
Caryomyia
Species
Caryomyia caryae
Scientific Name
Caryomyia caryae

Summary description from Wikipedia:

Caryomyia caryae

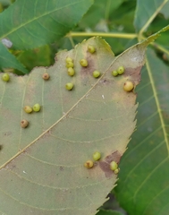
Caryomyia caryae, (the hickory sticky globe gall midge), is a species of gall midge in the family Cecidomyiidae. It forms a small, globular gall with a pointed tip on the undersides of Hickory leaves.

...
 

Caryomyia caryae in languages:

English
Hickory Sticky Globe Gall Midge

Images from inaturalist.org observations:

We recommend you sign up for this excellent, free service.

Caryomyia caryae
©Jonah Levy, some rights reserved (CC-BY-NC)
Caryomyia caryae
©Jonah Levy, some rights reserved (CC-BY-NC)
Caryomyia caryae
©Nick Furlan, some rights reserved (CC-BY-NC)
Caryomyia caryae
©Claire O'Neill, some rights reserved (CC-BY-NC)
Caryomyia caryae
©bonnieeamick, some rights reserved (CC-BY-NC)
Caryomyia caryae
©Timothy Frey, some rights reserved (CC-BY-NC)
Caryomyia caryae
©Tom Murray, some rights reserved (CC-BY-NC)
Caryomyia caryae
©Tom Murray, some rights reserved (CC-BY-NC)
Caryomyia caryae
©Tom Murray, some rights reserved (CC-BY-NC)
Caryomyia caryae
©Jonah Levy, some rights reserved (CC-BY-NC)
Caryomyia caryae
©Jonah Levy, some rights reserved (CC-BY-NC)
Caryomyia caryae
©Jonah Levy, some rights reserved (CC-BY-NC)
Caryomyia caryae
©Jonah Levy, some rights reserved (CC-BY-NC)
Caryomyia caryae
©Jonah Levy, some rights reserved (CC-BY-NC)
Caryomyia caryae
©Jonah Levy, some rights reserved (CC-BY-NC)
Caryomyia caryae
©Jonah Levy, some rights reserved (CC-BY-NC)
Caryomyia caryae
©Emily Summerbell, some rights reserved (CC-BY)
Caryomyia caryae
©Emily Summerbell, some rights reserved (CC-BY)
Caryomyia caryae
©Emily Summerbell, some rights reserved (CC-BY)
Caryomyia caryae
©gsarajg, some rights reserved (CC-BY-NC)
Caryomyia caryae
©Bill MacIndewar, some rights reserved (CC-BY-NC)
Caryomyia caryae
©Bill MacIndewar, some rights reserved (CC-BY-NC)
Caryomyia caryae
©Bill MacIndewar, some rights reserved (CC-BY-NC)
Caryomyia caryae
©Bill MacIndewar, some rights reserved (CC-BY-NC)
Caryomyia caryae
©Bill MacIndewar, some rights reserved (CC-BY-NC)
Caryomyia caryae
©Bill MacIndewar, some rights reserved (CC-BY-NC)
Caryomyia caryae
©Bill MacIndewar, some rights reserved (CC-BY-NC)
Caryomyia caryae
©Bill MacIndewar, some rights reserved (CC-BY-NC)
Caryomyia caryae
©Bill MacIndewar, some rights reserved (CC-BY-NC)
Caryomyia caryae
©mayessj, some rights reserved (CC-BY-NC)
Caryomyia caryae
©Vitaly Charny, some rights reserved (CC-BY-NC)
Caryomyia caryae
©gwt2102, some rights reserved (CC-BY-NC)
Caryomyia caryae
©gwt2102, some rights reserved (CC-BY-NC)
Caryomyia caryae
©Claire O'Neill, some rights reserved (CC-BY-NC)
Caryomyia caryae
©Claire O'Neill, some rights reserved (CC-BY-NC)
Caryomyia caryae
©Claire O'Neill, some rights reserved (CC-BY-NC)
Caryomyia caryae
©Claire O'Neill, some rights reserved (CC-BY-NC)
Caryomyia caryae
©Jeff Clark, some rights reserved (CC-BY)
Caryomyia caryae
©Timothy Frey, some rights reserved (CC-BY-NC)
Caryomyia caryae
©Bill Sheehan, some rights reserved (CC-BY-NC)
Caryomyia caryae
©Bill Sheehan, some rights reserved (CC-BY-NC)
Caryomyia caryae
©Bill Sheehan, some rights reserved (CC-BY-NC)
Caryomyia caryae
©Claire O'Neill, some rights reserved (CC-BY-NC)
Caryomyia caryae
©Claire O'Neill, some rights reserved (CC-BY-NC)
Caryomyia caryae
©Claire O'Neill, some rights reserved (CC-BY-NC)
Caryomyia caryae
©Timothy Frey, some rights reserved (CC-BY-NC)
Caryomyia caryae
©Lynn Harper, some rights reserved (CC0)
Caryomyia caryae
©Val, some rights reserved (CC-BY)
Caryomyia caryae
©Val, some rights reserved (CC-BY)
Caryomyia caryae
©Val, some rights reserved (CC-BY)
Caryomyia caryae
©Val, some rights reserved (CC-BY)
Caryomyia caryae
©ksgardener1, some rights reserved (CC-BY-NC)
Caryomyia caryae
©Claire O'Neill, some rights reserved (CC-BY-NC)
Caryomyia caryae
©Claire O'Neill, some rights reserved (CC-BY-NC)
Caryomyia caryae
©Ivan, some rights reserved (CC-BY-NC)
Caryomyia caryae
©Claire O'Neill, some rights reserved (CC-BY-NC)
Caryomyia caryae
©Claire O'Neill, some rights reserved (CC-BY-NC)
Caryomyia caryae
©Claire O'Neill, some rights reserved (CC-BY-NC)
Caryomyia caryae
©Claire O'Neill, some rights reserved (CC-BY-NC)
Caryomyia caryae
©Jeff Clark, some rights reserved (CC-BY)
Caryomyia caryae
©ksgardener1, some rights reserved (CC-BY-NC)
Caryomyia caryae
©ksgardener1, some rights reserved (CC-BY-NC)
Caryomyia caryae
©Nathan, some rights reserved (CC-BY-NC)
Caryomyia caryae
©Ivan, some rights reserved (CC-BY-NC)
Caryomyia caryae
©ozarkpoppy, some rights reserved (CC-BY-NC)
Caryomyia caryae
©matthew_wills, some rights reserved (CC-BY-NC)
Caryomyia caryae
©Jeff Clark, some rights reserved (CC-BY)
Caryomyia caryae
©Jeff Clark, some rights reserved (CC-BY)
Caryomyia caryae
©Jeff Clark, some rights reserved (CC-BY)
Caryomyia caryae
©matthew_wills, some rights reserved (CC-BY-NC)
Caryomyia caryae
©Tom Murray, some rights reserved (CC-BY-NC)
Caryomyia caryae
©Emily Summerbell, some rights reserved (CC-BY)
Caryomyia caryae
©Emily Summerbell, some rights reserved (CC-BY)
Caryomyia caryae
©Emily Summerbell, some rights reserved (CC-BY)
Caryomyia caryae
©Emily Summerbell, some rights reserved (CC-BY)
Caryomyia caryae
©Emily Summerbell, some rights reserved (CC-BY)
Caryomyia caryae
©Emily Summerbell, some rights reserved (CC-BY)
Caryomyia caryae
©Emily Summerbell, some rights reserved (CC-BY)
Caryomyia caryae
©Emily Summerbell, some rights reserved (CC-BY)
Caryomyia caryae
©Emily Summerbell, some rights reserved (CC-BY)
Caryomyia caryae
©Emily Summerbell, some rights reserved (CC-BY)
Caryomyia caryae
©Emily Summerbell, some rights reserved (CC-BY)
Caryomyia caryae
©Emily Summerbell, some rights reserved (CC-BY)
Caryomyia caryae
©Emily Summerbell, some rights reserved (CC-BY)
Caryomyia caryae
©laurasea, some rights reserved (CC-BY-NC)
Caryomyia caryae
©laurasea, some rights reserved (CC-BY-NC)
Caryomyia caryae
©laurasea, some rights reserved (CC-BY-NC)
Caryomyia caryae
©laurasea, some rights reserved (CC-BY-NC)
Caryomyia caryae
©laurasea, some rights reserved (CC-BY-NC)
Caryomyia caryae
©laurasea, some rights reserved (CC-BY-NC)
Caryomyia caryae
©laurasea, some rights reserved (CC-BY-NC)
Caryomyia caryae
©Nick Furlan, some rights reserved (CC-BY-NC)
Caryomyia caryae
©Tom Murray, some rights reserved (CC-BY-NC)
Caryomyia caryae
©Sara Rall, some rights reserved (CC-BY-NC)
Caryomyia caryae
©Sara Rall, some rights reserved (CC-BY-NC)
Caryomyia caryae
©Sara Rall, some rights reserved (CC-BY-NC)
Caryomyia caryae
©Jeff Clark, some rights reserved (CC-BY)
Caryomyia caryae
©Nick Furlan, some rights reserved (CC-BY-NC)
Caryomyia caryae
©Jonah Levy, some rights reserved (CC-BY-NC)
Caryomyia caryae
©Emily Summerbell, some rights reserved (CC-BY)
Caryomyia caryae
©Emily Summerbell, some rights reserved (CC-BY)
Caryomyia caryae
©Emily Summerbell, some rights reserved (CC-BY)
Caryomyia caryae
©Emily Summerbell, some rights reserved (CC-BY)
Caryomyia caryae
©Emily Summerbell, some rights reserved (CC-BY)
Caryomyia caryae
©Emily Summerbell, some rights reserved (CC-BY)
Caryomyia caryae
©Emily Summerbell, some rights reserved (CC-BY)
Caryomyia caryae
©Emily Summerbell, some rights reserved (CC-BY)
Caryomyia caryae
©Tom Murray, some rights reserved (CC-BY-NC)
Caryomyia caryae
©Tom Murray, some rights reserved (CC-BY-NC)
Caryomyia caryae
©Molly Jacobson, some rights reserved (CC-BY-NC)
Caryomyia caryae
©Molly Jacobson, some rights reserved (CC-BY-NC)
Caryomyia caryae
©Matthew Hammond, some rights reserved (CC-BY-NC)
Caryomyia caryae
©Tom Murray, some rights reserved (CC-BY-NC)
Caryomyia caryae
©Izabella Farr, some rights reserved (CC-BY-NC)
Caryomyia caryae
©Izabella Farr, some rights reserved (CC-BY-NC)
Caryomyia caryae
©Izabella Farr, some rights reserved (CC-BY-NC)
Caryomyia caryae
©Emily Summerbell, some rights reserved (CC-BY)
Caryomyia caryae
©Emily Summerbell, some rights reserved (CC-BY)
Caryomyia caryae
©Emily Summerbell, some rights reserved (CC-BY)
Caryomyia caryae
©Emily Summerbell, some rights reserved (CC-BY)
Caryomyia caryae
©Emily Summerbell, some rights reserved (CC-BY)
Caryomyia caryae
©Emily Summerbell, some rights reserved (CC-BY)
Caryomyia caryae
©Emily Summerbell, some rights reserved (CC-BY)
Caryomyia caryae
©Emily Summerbell, some rights reserved (CC-BY)
Caryomyia caryae
©Emily Summerbell, some rights reserved (CC-BY)
Caryomyia caryae
©Emily Summerbell, some rights reserved (CC-BY)
Caryomyia caryae
©Emily Summerbell, some rights reserved (CC-BY)
Caryomyia caryae
©Emily Summerbell, some rights reserved (CC-BY)
Caryomyia caryae
©laurasea, some rights reserved (CC-BY-NC)
Caryomyia caryae
©Bill Sheehan, some rights reserved (CC-BY-NC)
Caryomyia caryae
©Bill Sheehan, some rights reserved (CC-BY-NC)
Caryomyia caryae
©Bill Sheehan, some rights reserved (CC-BY-NC)
Caryomyia caryae
©Bill Sheehan, some rights reserved (CC-BY-NC)
Caryomyia caryae
©Bill Sheehan, some rights reserved (CC-BY-NC)
Caryomyia caryae
©Bill Sheehan, some rights reserved (CC-BY-NC)
Caryomyia caryae
©Bill Sheehan, some rights reserved (CC-BY-NC)
Caryomyia caryae
©Bill Sheehan, some rights reserved (CC-BY-NC)
Caryomyia caryae
©Bill Sheehan, some rights reserved (CC-BY-NC)
Caryomyia caryae
©Emily Summerbell, some rights reserved (CC-BY)
Caryomyia caryae
©Emily Summerbell, some rights reserved (CC-BY)
Caryomyia caryae
©Emily Summerbell, some rights reserved (CC-BY)
Caryomyia caryae
©Emily Summerbell, some rights reserved (CC-BY)
Caryomyia caryae
©Emily Summerbell, some rights reserved (CC-BY)
Caryomyia caryae
©Emily Summerbell, some rights reserved (CC-BY)
Caryomyia caryae
©Emily Summerbell, some rights reserved (CC-BY)
Caryomyia caryae
©Bill Sheehan, some rights reserved (CC-BY-NC)
Caryomyia caryae
©Bill Sheehan, some rights reserved (CC-BY-NC)
Caryomyia caryae
©Bill Sheehan, some rights reserved (CC-BY-NC)
Caryomyia caryae
©Bill Sheehan, some rights reserved (CC-BY-NC)
Caryomyia caryae
©Bill Sheehan, some rights reserved (CC-BY-NC)
Caryomyia caryae
©Bill Sheehan, some rights reserved (CC-BY-NC)
Caryomyia caryae
©Bill Sheehan, some rights reserved (CC-BY-NC)
Caryomyia caryae
©Bill Sheehan, some rights reserved (CC-BY-NC)
Caryomyia caryae
©Bill Sheehan, some rights reserved (CC-BY-NC)
Caryomyia caryae
©Bill Sheehan, some rights reserved (CC-BY-NC)
Caryomyia caryae
©Bill Sheehan, some rights reserved (CC-BY-NC)
Caryomyia caryae
©anaturalist68, some rights reserved (CC-BY-NC)
Caryomyia caryae
©Vitaly Charny, some rights reserved (CC-BY-NC)
Caryomyia caryae
©Wayne Longbottom, some rights reserved (CC-BY-NC)
Caryomyia caryae
©human_landfill, some rights reserved (CC-BY-NC)