Skip to the navigation
.
Skip to the content
.
BioSurveys.org
Surveying life, socially, locally.
places search
taxa search
Color
Sign In
Catogenus klapperichorum: taxon details and analytics
Domain
Kingdom
Animalia
Phylum
Arthropoda
Class
Insecta
Order
Coleoptera
Family
Passandridae
Genus
Catogenus
Species
Catogenus klapperichorum
Scientific Name
Catogenus klapperichorum
Images from inaturalist.org observations:
We recommend you sign up for this excellent, free service.
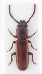
©TOUROULT Julien, some rights reserved (CC-BY)
©prioninae_eu, some rights reserved (CC-BY-NC)
Parent Taxon
Catogenus
Sibling Taxa
Catogenus decoratus
Catogenus klapperichorum
Catogenus longicornis
Catogenus rufus
Catogenus thomasi
Top Observation Places
Share
Tweet
Back to Top
Biosurveys - Crowd Sourced Local Biogeography Login