Cephalopholis fulva: taxon details and analytics
- Domain
- Kingdom
- Animalia
- Phylum
- Chordata
- Class
- Actinopterygii
- Order
- Perciformes
- Family
- Epinephelidae
- Genus
- Cephalopholis
- Species
- Cephalopholis fulva
- Scientific Name
- Cephalopholis fulva
Summary description from Wikipedia:
Cephalopholis fulva
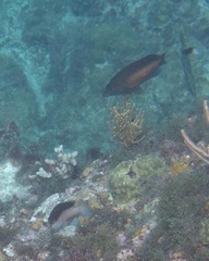
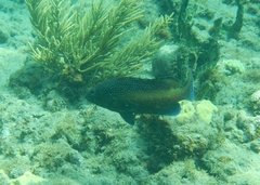
Cephalopholis fulva, the coney or the butterfish, is a species of marine ray-finned fish, a grouper from the subfamily Epinephelinae which is in the family Serranidae which also includes the anthias and sea basses. It is found in the western Atlantic. It is associated with reefs and is a quarry species for commercial and recreational fisheries. It can also be found in the aquarium trade.
...Cephalopholis fulva in languages:
- Chinese
- 金黃九棘鱸
- Chinese
- 藍臀九棘鱸
- Czech
- kanic ocasoskvrnný
- Danish
- Østamerikansk påfuglebars
- Dutch
- Zwarte sproetelvis
- English
- Coney
- French
- Coné ouatalibi
- Japanese
- クラカケハタ
- Portuguese
- Garoupa-vermelha
- Portuguese
- Pirauna
- Portuguese
- Piraúna
- Portuguese
- Garoupinha
Images from inaturalist.org observations:
We recommend you sign up for this excellent, free service.
Parent Taxon
Sibling Taxa
- Cephalopholis aitha
- Cephalopholis argus
- Cephalopholis aurantia
- Cephalopholis boenak
- Cephalopholis colonus
- Cephalopholis cruentata
- Cephalopholis cyanostigma
- Cephalopholis formosa
- Cephalopholis fulva
- Cephalopholis hemistiktos
- Cephalopholis igarashiensis
- Cephalopholis leopardus
- Cephalopholis microprion
- Cephalopholis miniata
- Cephalopholis nigri
- Cephalopholis nigripinnis
- Cephalopholis oligosticta
- Cephalopholis panamensis
- Cephalopholis polleni
- Cephalopholis polyspila
- Cephalopholis sexmaculata
- Cephalopholis sonnerati
- Cephalopholis spiloparaea
- Cephalopholis taeniops
- Cephalopholis urodeta

















































































































































