Chaetodon aureofasciatus: taxon details and analytics
- Domain
- Kingdom
- Animalia
- Phylum
- Chordata
- Class
- Actinopterygii
- Order
- Acanthuriformes
- Family
- Chaetodontidae
- Genus
- Chaetodon
- Species
- Chaetodon aureofasciatus
- Scientific Name
- Chaetodon aureofasciatus
Summary description from Wikipedia:
Chaetodon aureofasciatus
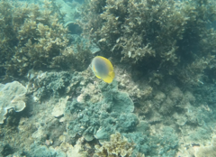
Chaetodon aureofasciatus, the golden butterflyfish, golden-banded butterflyfish, golden-striped butterflyfish or sunburst butterflyfish, is a species of marine ray-finned fish, a butterflyfish belonging to the family Chaetodontidae. This coral eating species is found on shallow reefs in the western Pacific Ocean.
...Chaetodon aureofasciatus in languages:
- Czech
- klipka zlatopásá
- English
- Goldenrod butterflyfish
- English
- Goldstripe Butterflyfish
- English
- Gold-banded Butterflyfish
- English
- Gold-striped Butterfly-fish
- English
- Golden-striped Butterflyfish
- English
- Goldenstriped Butterflyfish
- English
- Sunburst Butterflyfish
- German
- Goldstreifen-Falterfisch
- Italian
- Pesce farfalla dorato
- Italian
- Pesce farfalla striscia d'oro
- Portuguese
- Peixe-borboleta-dourado
- Russian
- Золотопятнистая рыба-бабочка
Images from inaturalist.org observations:
We recommend you sign up for this excellent, free service.
Parent Taxon
Sibling Taxa
- Chaetodon adiergastos
- Chaetodon andamanensis
- Chaetodon argentatus
- Chaetodon assarius
- Chaetodon aureofasciatus
- Chaetodon auriga
- Chaetodon auripes
- Chaetodon austriacus
- Chaetodon baronessa
- Chaetodon bennetti
- Chaetodon blackburnii
- Chaetodon burgessi
- Chaetodon capistratus
- Chaetodon citrinellus
- Chaetodon collare
- Chaetodon daedalma
- Chaetodon declivis
- Chaetodon decussatus
- Chaetodon dialeucos
- Chaetodon dolosus
- Chaetodon ephippium
- Chaetodon falcula
- Chaetodon fasciatus
- Chaetodon flavirostris
- Chaetodon flavocoronatus
- Chaetodon fremblii
- Chaetodon gardineri
- Chaetodon guentheri
- Chaetodon guttatissimus
- Chaetodon guttatissimus × Chaetodon punctatofasciatus
- Chaetodon hoefleri
- Chaetodon humeralis
- Chaetodon interruptus
- Chaetodon kleinii
- Chaetodon larvatus
- Chaetodon leucopleura
- Chaetodon lineolatus
- Chaetodon litus
- Chaetodon lunula
- Chaetodon lunulatus
- Chaetodon madagaskariensis
- Chaetodon marleyi
- Chaetodon melannotus
- Chaetodon melapterus
- Chaetodon mertensii
- Chaetodon mesoleucos
- Chaetodon meyeri
- Chaetodon miliaris
- Chaetodon mitratus
- Chaetodon multicinctus
- Chaetodon nigropunctatus
- Chaetodon nippon
- Chaetodon ocellatus
- Chaetodon ocellicaudus
- Chaetodon octofasciatus
- Chaetodon ornatissimus
- Chaetodon oxycephalus
- Chaetodon paucifasciatus
- Chaetodon pelewensis
- Chaetodon pelewensis × punctatofasciatus
- Chaetodon pictus
- Chaetodon plebeius
- Chaetodon punctatofasciatus
- Chaetodon quadrimaculatus
- Chaetodon rafflesii
- Chaetodon rainfordi
- Chaetodon reticulatus
- Chaetodon robustus
- Chaetodon sanctaehelenae
- Chaetodon sedentarius
- Chaetodon selene
- Chaetodon semeion
- Chaetodon semilarvatus
- Chaetodon smithi
- Chaetodon speculum
- Chaetodon striatus
- Chaetodon tinkeri
- Chaetodon triangulum
- Chaetodon trichrous
- Chaetodon tricinctus
- Chaetodon trifascialis
- Chaetodon trifasciatus
- Chaetodon ulietensis
- Chaetodon unimaculatus
- Chaetodon vagabundus
- Chaetodon wiebeli
- Chaetodon xanthocephalus
- Chaetodon xanthurus
- Chaetodon zanzibarensis






























































































































































