Cheilodipterus artus: taxon details and analytics
- Domain
- Kingdom
- Animalia
- Phylum
- Chordata
- Class
- Actinopterygii
- Order
- Kurtiformes
- Family
- Apogonidae
- Genus
- Cheilodipterus
- Species
- Cheilodipterus artus
- Scientific Name
- Cheilodipterus artus
Summary description from Wikipedia:
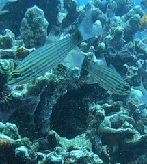
Cheilodipterus artus
Cheilodipterus artus es una especie de pez del género Cheilodipterus, familia Apogonidae. Fue descrita científicamente por Smith en 1961.
Se distribuye por el Indo-Pacífico: África Oriental hasta las islas Tuamoto, al norte a las islas Ryūkyū, al sur a la Gran Barrera de Coral. La longitud estándar (SL) es de 18,7 centímetros. Habita en bahías protegidas y arrecifes y su dieta se compone de pequeños peces. Puede alcanzar los 158 metros de profundidad.
Está clasificada como una especie marina inofensiva para el ser humano.
...Cheilodipterus artus in languages:
- Czech
- parmovec linkovaný
- English
- Wolf Cardinalfish
- English
- Lined Cardinalfish
- English
- Arrow-tooth Cardinal
- French
- Apogon strié
- German
- Wolfskardinalbarsch
- Japanese
- カスミヤライイシモチ
- Japanese
- Ishimochi
Images from inaturalist.org observations:
We recommend you sign up for this excellent, free service.
Parent Taxon
Sibling Taxa
- Cheilodipterus alleni
- Cheilodipterus arabicus
- Cheilodipterus artus
- Cheilodipterus heptazona
- Cheilodipterus intermedius
- Cheilodipterus isostigma
- Cheilodipterus lachneri
- Cheilodipterus lineatus
- Cheilodipterus macrodon
- Cheilodipterus nigrotaeniatus
- Cheilodipterus novemstriatus
- Cheilodipterus octovittatus
- Cheilodipterus parazonatus
- Cheilodipterus persicus
- Cheilodipterus pygmaios
- Cheilodipterus quinquelineatus
- Cheilodipterus singapurensis
- Cheilodipterus subulatus
- Cheilodipterus zonatus














































































































