Chelonia mydas: taxon details and analytics
- Domain
- Kingdom
- Animalia
- Phylum
- Chordata
- Class
- Reptilia
- Order
- Testudines
- Family
- Cheloniidae
- Genus
- Chelonia
- Species
- Chelonia mydas
- Scientific Name
- Chelonia mydas
Summary description from Wikipedia:
Green sea turtle
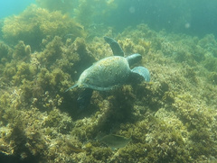
The green sea turtle (Chelonia mydas), also known as the green turtle, black sea turtle, and Pacific green turtle, is a species of large sea turtle of the family Cheloniidae. It is the only species in the genus Chelonia. Its range extends throughout tropical and subtropical seas around the world, with two distinct populations in the Atlantic and Pacific Oceans, but it is also found in the Indian Ocean. The common name refers to the usually green fat found beneath its carapace, due to its diet strictly being seagrass, not to the color of its carapace, which is olive to black.
The dorsoventrally flattened body of C. mydas is covered by a large, teardrop-shaped carapace; it has a pair of large, paddle-like flippers. It is usually lightly colored, although in the eastern Pacific populations, parts of the carapace can be almost black. Unlike other members of its family, such as the hawksbill sea turtle, C. mydas is mostly herbivorous. The adults usually inhabit shallow lagoons, feeding mostly on various species of seagrasses. The green sea turtle is the only aquatic turtle species which is herbivorous when fully grown.
Like other sea turtles, green sea turtles migrate long distances between feeding grounds and hatching beaches. Many islands worldwide are known as Turtle Island due to green sea turtles nesting on their beaches. Females crawl out on beaches, dig nests, and lay eggs during the night. Later, hatchlings emerge, and scramble into the water. Those that reach maturity may live to 90 years in the wild.
C. mydas was listed as endangered by the IUCN and CITES until 2025 and is protected from exploitation in most countries. It is illegal to collect, harm, or kill them. In addition, many countries have laws and ordinances to protect nesting areas. However, turtles are still in danger due to human activity. In some countries, turtles and their eggs are still hunted for food. Pollution indirectly harms turtles at both population and individual scales. Many turtles die after being caught in fishing nets. In addition, real estate development often causes habitat loss by eliminating nesting beaches.
...Chelonia mydas in languages:
- Afrikaans
- Groenseeskilpad
- Arabic
- سلحفاة بحرية خضراء
- Bokmål
- Grønn Havskilpadde
- Bokmål
- Suppeskilpadde
- Bulgarian
- Зелена морска костенурка
- Chinese
- 綠海龜
- Chinese
- 綠蠵龜
- Croatian
- Zelena želva
- Croatian
- Golema želva
- Czech
- kareta obrovská
- Czech
- kareta obrovská tichomořská
- Czech
- kareta obrovská atlantská
- Czech
- kareta obrovská japonská
- Danish
- grøn havskildpadde
- Dutch
- Soepschildpad
- Dutch
- Groene Zeeschildpad
- English
- Green Turtle
- English
- Green Sea Turtle
- English
- Pacific Black Sea Turtle
- English
- Atlantic Green Sea Turtle
- English
- West Pacific Green Sea Turtle
- French
- Tortue verte
- French
- Tortue franche
- German
- Suppenschildkröte
- German
- Grüne Meeresschildkröte
- Hebrew
- צב ים ירוק
- Indonesian
- Penyu Hijau
- Italian
- Tartaruga verde
- Japanese
- アオウミガメ
- Japanese
- クロウミガメ
- Korean
- 바다거북
- Modern Greek
- Πράσινη Χελώνα
- Māori
- Honu
- Polish
- Żółw zielony
- Portuguese
- Tartaruga-verde
- Portuguese
- tartaruga-aruanã
- Russian
- Зелёная черепаха
- Russian
- Суповая черепаха
- Thai
- เต่าตนุ
- Turkish
- Yeşil Deniz Kaplumbağası
- Ukrainian
- Морська черепаха зелена
Images from inaturalist.org observations:
We recommend you sign up for this excellent, free service.
Parent Taxon
Sibling Taxa
Top Observation Places
- West Palm Beach
- Puerto Vallarta
- Guarujá
- Villa Francisca
- Arica
- La Paz
- Jupiter
- Palm Beach Gardens
- San Diego
- Chula Vista
- National City
- Arona
- San Juan
- Al Fujairah City
- Reef Al Fujairah City
- Cabo Frio
- São Pedro da Aldeia
- Vila Velha
- Vitória
- Fort Lauderdale
- Pompano Beach
- Sunrise
- Deerfield Beach
- Coconut Creek
- Ambalangoda
- Fort-de-France
- Bridgetown
- Rio de Janeiro
- Niterói
- Long Beach
- Nouméa
- Cancún
- Playa del Carmen
- Cozumel
- Corpus Christi
- Honolulu




























































































































































