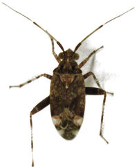
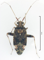
Chinamiris muehlenbeckiae: taxon details and analytics
- Domain
- Kingdom
- Animalia
- Phylum
- Arthropoda
- Class
- Insecta
- Order
- Hemiptera
- Family
- Miridae
- Genus
- Chinamiris
- Species
- Scientific Name
- Chinamiris muehlenbeckiae
Images from inaturalist.org observations:
We recommend you sign up for this excellent, free service.
Parent Taxon
Sibling Taxa
- Chinamiris acutospinosus
- Chinamiris aurantiacus
- Chinamiris brachycerus
- Chinamiris citrinus
- Chinamiris daviesi
- Chinamiris dracophylloides
- Chinamiris elongatus
- Chinamiris guttatus
- Chinamiris hamus
- Chinamiris indeclivis
- Chinamiris juvans
- Chinamiris laticinctus
- Chinamiris marmoratus
- Chinamiris minutus
- Chinamiris muehlenbeckiae
- Chinamiris niculatus
- Chinamiris nigrifrons
- Chinamiris opacus
- Chinamiris ovatus
- Chinamiris punctatus
- Chinamiris quadratus
- Chinamiris rufescens
- Chinamiris secundus
- Chinamiris testaceus
- Chinamiris unicolor
- Chinamiris virescens
- Chinamiris viridicans
- Chinamiris whakapapae
- Chinamiris zygotus






































