Chyphotes melaniceps: taxon details and analytics
- Domain
- Kingdom
- Animalia
- Phylum
- Arthropoda
- Class
- Insecta
- Order
- Hymenoptera
- Family
- Chyphotidae
- Genus
- Chyphotes
- Species
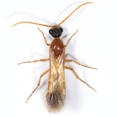
- Chyphotes melaniceps
- Scientific Name
- Chyphotes melaniceps
Images from inaturalist.org observations:
We recommend you sign up for this excellent, free service.







