Coleophora quadruplex: taxon details and analytics
- Domain
- Kingdom
- Animalia
- Phylum
- Arthropoda
- Class
- Insecta
- Order
- Lepidoptera
- Family
- Coleophoridae
- Genus
- Coleophora
- Species
- Coleophora quadruplex
- Scientific Name
- Coleophora quadruplex
Summary description from Wikipedia:
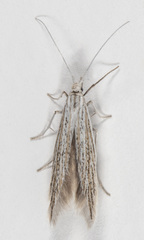
Coleophora quadruplex
Coleophora quadruplex is a moth of the family Coleophoridae. It is found in North America, including Nova Scotia, Illinois, Maine, Massachusetts and New York.
The larvae feed on the seeds of Achillea species, including Achillea millefolium. They create a trivalved, tubular silken case.
...Images from inaturalist.org observations:
We recommend you sign up for this excellent, free service.
Parent Taxon
Sibling Taxa
- Coleophora aarviki
- Coleophora absinthii
- Coleophora absinthivora
- Coleophora acamtopappi
- Coleophora acanthabortiva
- Coleophora acanthophallica
- Coleophora accordella
- Coleophora acerosa
- Coleophora achaenivora
- Coleophora achilleae
- Coleophora acmura
- Coleophora acrisella
- Coleophora acuminatoides
- Coleophora acutipennella
- Coleophora acutiphaga
- Coleophora adalligata
- Coleophora adelogrammella
- Coleophora adelpha
- Coleophora adilella
- Coleophora adjectella
- Coleophora adjunctella
- Coleophora adlecta
- Coleophora adspersella
- Coleophora adumbratella
- Coleophora aegyptiacae
- Coleophora aeneostrigella
- Coleophora aequalella
- Coleophora aervae
- Coleophora aestuariella
- Coleophora aethiops
- Coleophora affiliatella
- Coleophora afrohispana
- Coleophora afrosarda
- Coleophora afrotropicalis
- Coleophora agadirensis
- Coleophora agassizi
- Coleophora agenjoi
- Coleophora agilis
- Coleophora aglabitella
- Coleophora agnatella
- Coleophora agrianella
- Coleophora ahenella
- Coleophora alabama
- Coleophora alacanta
- Coleophora alashiae
- Coleophora albadomina
- Coleophora albarracinica
- Coleophora albella
- Coleophora albicans
- Coleophora albicella
- Coleophora albicilia
- Coleophora albicinctella
- Coleophora albicosta
- Coleophora albicostella
- Coleophora albidella
- Coleophora albidorsella
- Coleophora albilineella
- Coleophora albipennella
- Coleophora albitarsella
- Coleophora albostraminata
- Coleophora albovanescens
- Coleophora albulae
- Coleophora alcyonipennella
- Coleophora alecturella
- Coleophora aleramica
- Coleophora alfacarensis
- Coleophora algeriensis
- Coleophora algidella
- Coleophora alhamaella
- Coleophora aliena
- Coleophora aliquanta
- Coleophora almeriensis
- Coleophora alniella
- Coleophora alnifoliae
- Coleophora altaicolella
- Coleophora alticolella
- Coleophora altivagella
- Coleophora amarchana
- Coleophora amasicola
- Coleophora amasiella
- Coleophora amellivora
- Coleophora amethystinella
- Coleophora ammodyta
- Coleophora ammophora
- Coleophora amphorella
- Coleophora amseli
- Coleophora anabaseos
- Coleophora anatipenella
- Coleophora anatipennella
- Coleophora ancistron
- Coleophora anguliferella
- Coleophora angustiorella
- Coleophora anisota
- Coleophora anitella
- Coleophora annulicola
- Coleophora antennariella
- Coleophora aphanombra
- Coleophora apicialbella
- Coleophora apythana
- Coleophora aquaecadentis
- Coleophora arachnias
- Coleophora aragonensis
- Coleophora arctostaphyli
- Coleophora arefactella
- Coleophora arenbergerella
- Coleophora arenbergeri
- Coleophora arenicola
- Coleophora arenifera
- Coleophora areniphila
- Coleophora arens
- Coleophora argentella
- Coleophora argenteonivea
- Coleophora argentialbella
- Coleophora argentula
- Coleophora argyrella
- Coleophora arkaimella
- Coleophora armata
- Coleophora armeniae
- Coleophora arta
- Coleophora artemisicolella
- Coleophora artemisiella
- Coleophora asirensis
- Coleophora asperginella
- Coleophora aspromontis
- Coleophora astericola
- Coleophora asteris
- Coleophora asterophagella
- Coleophora asterosella
- Coleophora asthenella
- Coleophora astragalella
- Coleophora astragalorum
- Coleophora atlanti
- Coleophora atrilineella
- Coleophora atriplicis
- Coleophora atriplicivora
- Coleophora atromarginata
- Coleophora attalicella
- Coleophora audeoudi
- Coleophora aularia
- Coleophora aureimontis
- Coleophora auricella
- Coleophora auroguttella
- Coleophora austrina
- Coleophora autumnella
- Coleophora azishtella
- Coleophora badiipennella
- Coleophora bagorella
- Coleophora bajkalella
- Coleophora balkara
- Coleophora ballotella
- Coleophora bantuella
- Coleophora barbaricina
- Coleophora basimaculella
- Coleophora basistrigella
- Coleophora bassii
- Coleophora batangica
- Coleophora bazae
- Coleophora bella
- Coleophora benestrigatella
- Coleophora berbera
- Coleophora berdjanski
- Coleophora berlandella
- Coleophora bernoulliella
- Coleophora beticella
- Coleophora betulella
- Coleophora bidens
- Coleophora bidentella
- Coleophora biforis
- Coleophora bifrondella
- Coleophora bilineatella
- Coleophora bilineella
- Coleophora binderella
- Coleophora binotapennella
- Coleophora bipunctella
- Coleophora biseriatella
- Coleophora bispinatella
- Coleophora bistrigella
- Coleophora blandula
- Coleophora bogdoensis
- Coleophora borea
- Coleophora boreella
- Coleophora bornicensis
- Coleophora botaurella
- Coleophora brandbergella
- Coleophora brevipalpella
- Coleophora breviuscula
- Coleophora breyeri
- Coleophora brunneipennis
- Coleophora brunneosignata
- Coleophora bucovinella
- Coleophora buettikeri
- Coleophora bulganella
- Coleophora burhinella
- Coleophora burmanni
- Coleophora caelebipennella
- Coleophora caespititiella
- Coleophora caganella
- Coleophora calandrella
- Coleophora calligoni
- Coleophora callipepla
- Coleophora calycotomella
- Coleophora camerunensis
- Coleophora campestriphaga
- Coleophora canadensisella
- Coleophora canariipennella
- Coleophora capella
- Coleophora capitensis
- Coleophora capricornis
- Coleophora captiosa
- Coleophora caraganae
- Coleophora carchara
- Coleophora carelica
- Coleophora carsica
- Coleophora cartilaginella
- Coleophora castipennella
- Coleophora caucasica
- Coleophora cavillosa
- Coleophora cecidophorella
- Coleophora centaureivora
- Coleophora centrafricana
- Coleophora centralis
- Coleophora ceratoidis
- Coleophora cercidiphyllella
- Coleophora cerinaula
- Coleophora certhiella
- Coleophora cervinella
- Coleophora chalcogrammella
- Coleophora chalepa
- Coleophora chamaedriella
- Coleophora chambersella
- Coleophora changaica
- Coleophora charadriella
- Coleophora charistis
- Coleophora chenopodii
- Coleophora chiarelliae
- Coleophora chiclanensis
- Coleophora chretieni
- Coleophora christenseni
- Coleophora chrysanthemi
- Coleophora chrysopsella
- Coleophora chumanensis
- Coleophora ciconiella
- Coleophora ciliataephaga
- Coleophora cinclella
- Coleophora cinerea
- Coleophora citrarga
- Coleophora citratga
- Coleophora clarissa
- Coleophora clypeiferella
- Coleophora cnossiaca
- Coleophora coarctataephaga
- Coleophora cochleata
- Coleophora coenosipennella
- Coleophora cogitata
- Coleophora colutella
- Coleophora comptoniella
- Coleophora concolorella
- Coleophora confluella
- Coleophora congeriella
- Coleophora conspicuella
- Coleophora contrariella
- Coleophora conyzae
- Coleophora coracipennella
- Coleophora cornella
- Coleophora corniapicella
- Coleophora cornivorella
- Coleophora cornutella
- Coleophora coronillae
- Coleophora corsicella
- Coleophora corticosa
- Coleophora corylifoliella
- Coleophora cracella
- Coleophora crassa
- Coleophora crassicornella
- Coleophora cratipennella
- Coleophora creola
- Coleophora crepidinella
- Coleophora cretaticostella
- Coleophora crinita
- Coleophora cristata
- Coleophora crossanthes
- Coleophora crypsineura
- Coleophora crypsiphanes
- Coleophora cteis
- Coleophora cuprariella
- Coleophora curictae
- Coleophora currucipennella
- Coleophora cypri
- Coleophora cyrneogenistae
- Coleophora cyrniella
- Coleophora cythisanthi
- Coleophora daglarica
- Coleophora damarella
- Coleophora darigangae
- Coleophora darwini
- Coleophora deauratella
- Coleophora decipiens
- Coleophora defessella
- Coleophora deinosella
- Coleophora delgerella
- Coleophora delmastroella
- Coleophora denigrella
- Coleophora dentatella
- Coleophora dentiferella
- Coleophora dentiferoides
- Coleophora depunctella
- Coleophora derasofasciella
- Coleophora derrai
- Coleophora detractella
- Coleophora deviella
- Coleophora dextrella
- Coleophora dianthi
- Coleophora dianthivora
- Coleophora didymella
- Coleophora diffusa
- Coleophora dignella
- Coleophora dilabens
- Coleophora diluta
- Coleophora diogenes
- Coleophora diplodon
- Coleophora directella
- Coleophora discifera
- Coleophora discomaculella
- Coleophora discopunctata
- Coleophora discordella
- Coleophora discostriata
- Coleophora dissecta
- Coleophora dissociella
- Coleophora dissona
- Coleophora ditella
- Coleophora divina
- Coleophora drymidis
- Coleophora drymophila
- Coleophora dubiella
- Coleophora duplicis
- Coleophora echinacea
- Coleophora efflua
- Coleophora eichleri
- Coleophora eilatica
- Coleophora elaeagnisella
- Coleophora eleagnisella
- Coleophora elegans
- Coleophora elephantella
- Coleophora elodella
- Coleophora eltonica
- Coleophora emberizella
- Coleophora enchitis
- Coleophora enkomiella
- Coleophora ensifera
- Coleophora entoloma
- Coleophora epijudaica
- Coleophora epiphanopa
- Coleophora epirusella
- Coleophora eremodes
- Coleophora eremosparti
- Coleophora ericarnella
- Coleophora ericoides
- Coleophora erratella
- Coleophora esignata
- Coleophora estriatella
- Coleophora eteropennella
- Coleophora etoshae
- Coleophora etrusca
- Coleophora eucasia
- Coleophora euchromella
- Coleophora eupepla
- Coleophora eupreta
- Coleophora eurasiatica
- Coleophora euryaula
- Coleophora exarga
- Coleophora exlentii
- Coleophora expressella
- Coleophora exul
- Coleophora fagicorticella
- Coleophora falcigerella
- Coleophora falkovitshella
- Coleophora famella
- Coleophora felixella
- Coleophora femorella
- Coleophora feoleuca
- Coleophora festivella
- Coleophora filaginella
- Coleophora fiorii
- Coleophora flavicornis
- Coleophora flavicosta
- Coleophora flaviella
- Coleophora flavipennella
- Coleophora flavovena
- Coleophora follicularis
- Coleophora forcipata
- Coleophora fragilella
- Coleophora frankii
- Coleophora fretella
- Coleophora fringillella
- Coleophora frischella
- Coleophora frivolella
- Coleophora fulgidella
- Coleophora fuliginosa
- Coleophora fuscicornis
- Coleophora fuscinervella
- Coleophora fuscociliella
- Coleophora fuscocuprella
- Coleophora fuscolineata
- Coleophora fuscopictella
- Coleophora gageai
- Coleophora galatellae
- Coleophora galbulipennella
- Coleophora gallipennella
- Coleophora gallivora
- Coleophora gallurella
- Coleophora gardesanella
- Coleophora gaviaepennella
- Coleophora gaylussaciella
- Coleophora gazella
- Coleophora genistae
- Coleophora genviki
- Coleophora gerasimovi
- Coleophora gibberosa
- Coleophora gielisi
- Coleophora gilgilensis
- Coleophora giustii
- Coleophora glaseri
- Coleophora glaucella
- Coleophora glaucicolella
- Coleophora glissandella
- Coleophora glitzella
- Coleophora glycyrrhizae
- Coleophora gnaphalii
- Coleophora gobincola
- Coleophora gracilella
- Coleophora graeca
- Coleophora graminicolella
- Coleophora granifera
- Coleophora granulatella
- Coleophora granulosella
- Coleophora gredosella
- Coleophora griseomixta
- Coleophora grotenfelti
- Coleophora gryphipennella
- Coleophora guadicensis
- Coleophora gulinovi
- Coleophora guttiferella
- Coleophora gymnocarpella
- Coleophora gypsella
- Coleophora hackmani
- Coleophora halimodendri
- Coleophora halmodes
- Coleophora halocnemi
- Coleophora halophilella
- Coleophora halostachydis
- Coleophora haloxyli
- Coleophora hamata
- Coleophora hancola
- Coleophora haoma
- Coleophora hartigi
- Coleophora haywardi
- Coleophora heihensis
- Coleophora heinrichella
- Coleophora helgada
- Coleophora helianthemella
- Coleophora helichrysiella
- Coleophora hemerobiella
- Coleophora hemerobiola
- Coleophora hermanniella
- Coleophora herniariae
- Coleophora hiberica
- Coleophora hieronella
- Coleophora himyarita
- Coleophora hinnula
- Coleophora hirsutella
- Coleophora hirtella
- Coleophora hirundicauda
- Coleophora hoeneella
- Coleophora hongorella
- Coleophora honshuella
- Coleophora horatioella
- Coleophora hospitiella
- Coleophora hsiaolingensis
- Coleophora hungariae
- Coleophora hydrolapathella
- Coleophora hypoxantha
- Coleophora hyssopi
- Coleophora hystricella
- Coleophora ibipennella
- Coleophora ichthyura
- Coleophora idaeella
- Coleophora ignobilis
- Coleophora ignotella
- Coleophora illustrata
- Coleophora imathiensis
- Coleophora immersa
- Coleophora impalella
- Coleophora implicitella
- Coleophora inconstans
- Coleophora incostans
- Coleophora incultella
- Coleophora indefinitella
- Coleophora inermis
- Coleophora inflatae
- Coleophora infolliculella
- Coleophora infuscatella
- Coleophora innermongoliensis
- Coleophora insulicola
- Coleophora intensa
- Coleophora intermediella
- Coleophora intermixta
- Coleophora internitens
- Coleophora intexta
- Coleophora intorta
- Coleophora inulae
- Coleophora inusitatella
- Coleophora inversella
- Coleophora involucrella
- Coleophora iperspinata
- Coleophora irinae
- Coleophora irinella
- Coleophora irroratella
- Coleophora islamella
- Coleophora isodonta
- Coleophora isomoera
- Coleophora issikii
- Coleophora jaeckhi
- Coleophora jaernaensis
- Coleophora japonicella
- Coleophora jebeli
- Coleophora jefreniensis
- Coleophora jerusalemella
- Coleophora juglandella
- Coleophora jukkai
- Coleophora juncicolella
- Coleophora juncivora
- Coleophora jurateella
- Coleophora jynxella
- Coleophora kabulensis
- Coleophora kahaourella
- Coleophora kalmiella
- Coleophora kamchatica
- Coleophora kamiesella
- Coleophora kandevanella
- Coleophora kargani
- Coleophora karischella
- Coleophora kashkaella
- Coleophora kaszabi
- Coleophora katangica
- Coleophora katunella
- Coleophora kautzi
- Coleophora kearfottella
- Coleophora kenyaensis
- Coleophora klimeschiella
- Coleophora kochiphaga
- Coleophora kolymella
- Coleophora kononenkoi
- Coleophora korbi
- Coleophora koreana
- Coleophora koshmella
- Coleophora kroneella
- Coleophora kruegeri
- Coleophora kudrosella
- Coleophora kuehnella
- Coleophora kunenensis
- Coleophora kurdistanella
- Coleophora kurokoi
- Coleophora kuruensis
- Coleophora kyffhusana
- Coleophora lacera
- Coleophora laconiae
- Coleophora laniella
- Coleophora laricella
- Coleophora lasiocharis
- Coleophora lasloella
- Coleophora lassella
- Coleophora lastukhini
- Coleophora laticornella
- Coleophora lativitella
- Coleophora latronella
- Coleophora laurentella
- Coleophora lebedella
- Coleophora ledi
- Coleophora lenae
- Coleophora lentella
- Coleophora leonensis
- Coleophora leptella
- Coleophora lessinica
- Coleophora leucaula
- Coleophora leucobela
- Coleophora leucochares
- Coleophora leucochrysella
- Coleophora leucopodella
- Coleophora levantis
- Coleophora lewandowskii
- Coleophora lima
- Coleophora limoniella
- Coleophora limosipennella
- Coleophora lineapulvella
- Coleophora lineata
- Coleophora lineolea
- Coleophora linoplecta
- Coleophora linosyridella
- Coleophora linosyris
- Coleophora lithargyrinella
- Coleophora littorella
- Coleophora lixella
- Coleophora lonchodes
- Coleophora longicornella
- Coleophora longiductella
- Coleophora longivalvella
- Coleophora loti
- Coleophora loxodon
- Coleophora luciennella
- Coleophora lunensis
- Coleophora lurida
- Coleophora lusciniaepennella
- Coleophora lusitanica
- Coleophora lutatiella
- Coleophora luteochrella
- Coleophora luteocostella
- Coleophora luteolella
- Coleophora lutipennella
- Coleophora lycaoniae
- Coleophora lynosyridella
- Coleophora macedonica
- Coleophora machinopis
- Coleophora macilenta
- Coleophora macrobiella
- Coleophora macrura
- Coleophora maghrebina
- Coleophora magnatella
- Coleophora magyarica
- Coleophora majuscula
- Coleophora malatiella
- Coleophora manifesta
- Coleophora manitoba
- Coleophora marcarolensis
- Coleophora mareki
- Coleophora maritella
- Coleophora maritimarum
- Coleophora maritimella
- Coleophora markisaakovitshi
- Coleophora maturella
- Coleophora mausolella
- Coleophora mayrella
- Coleophora mcdunnoughiella
- Coleophora medelichensis
- Coleophora mediocris
- Coleophora mediodens
- Coleophora mediterranea
- Coleophora megaloptila
- Coleophora melanograpta
- Coleophora mendica
- Coleophora meridiogallica
- Coleophora meridionella
- Coleophora metallica
- Coleophora meyi
- Coleophora microalbella
- Coleophora microdon
- Coleophora micromeriae
- Coleophora micronotella
- Coleophora microxantha
- Coleophora millefolii
- Coleophora millierella
- Coleophora milvipennis
- Coleophora minipalpella
- Coleophora minoica
- Coleophora mirabibella
- Coleophora modicella
- Coleophora moehringiae
- Coleophora molesta
- Coleophora molothrella
- Coleophora monardae
- Coleophora monardella
- Coleophora monoceros
- Coleophora monteiroi
- Coleophora monticola
- Coleophora moronella
- Coleophora morosa
- Coleophora motacillella
- Coleophora multicristatella
- Coleophora multipulvella
- Coleophora murinella
- Coleophora musculella
- Coleophora nairica
- Coleophora namaqua
- Coleophora namella
- Coleophora namibiae
- Coleophora nanophyti
- Coleophora napolovi
- Coleophora narbonensis
- Coleophora necessaria
- Coleophora neglecta
- Coleophora neli
- Coleophora nemesi
- Coleophora nemorella
- Coleophora neobagorella
- Coleophora nepetellae
- Coleophora nesiotidella
- Coleophora nevadella
- Coleophora neviusiella
- Coleophora nigricella
- Coleophora nigridorsella
- Coleophora nigrostriata
- Coleophora nikiella
- Coleophora niphocrossa
- Coleophora niphomesta
- Coleophora niveiciliella
- Coleophora niveicostella
- Coleophora niveistrigella
- Coleophora nomgona
- Coleophora nubivagella
- Coleophora numeniella
- Coleophora nurmahal
- Coleophora nutantella
- Coleophora nyanzaensis
- Coleophora nyingchiensis
- Coleophora obducta
- Coleophora obscenella
- Coleophora obscuripalpella
- Coleophora obtectella
- Coleophora obviella
- Coleophora occasi
- Coleophora occatella
- Coleophora occitana
- Coleophora ochrea
- Coleophora ochripennella
- Coleophora ochroflava
- Coleophora ochrostriata
- Coleophora odorariella
- Coleophora ofaistoni
- Coleophora okuella
- Coleophora oligosticta
- Coleophora oligostropha
- Coleophora olympica
- Coleophora omanica
- Coleophora onobrychiella
- Coleophora ononidella
- Coleophora onopordiella
- Coleophora opulens
- Coleophora ordinaria
- Coleophora oreiosella
- Coleophora orenburgella
- Coleophora oriolella
- Coleophora ornatipennella
- Coleophora orogella
- Coleophora orotavensis
- Coleophora orphnoceros
- Coleophora orthocherasella
- Coleophora ortneri
- Coleophora ortrina
- Coleophora ostryae
- Coleophora otidipennella
- Coleophora oxyphaea
- Coleophora palifera
- Coleophora palliatella
- Coleophora pallidata
- Coleophora pallidula
- Coleophora paludoides
- Coleophora pandionella
- Coleophora pannonicella
- Coleophora pappiferella
- Coleophora paradoxella
- Coleophora paradrymidis
- Coleophora paragallivora
- Coleophora paramayrella
- Coleophora paraononidella
- Coleophora paraspumosella
- Coleophora parasymi
- Coleophora parenthella
- Coleophora paripennella
- Coleophora parki
- Coleophora parthenica
- Coleophora parthenogenella
- Coleophora parthica
- Coleophora partitella
- Coleophora parvicuprella
- Coleophora pathana
- Coleophora patzaki
- Coleophora paucinotella
- Coleophora pechi
- Coleophora peisoniella
- Coleophora pelinopis
- Coleophora pellicornella
- Coleophora pennella
- Coleophora peri
- Coleophora peribenanderi
- Coleophora perissa
- Coleophora perplexella
- Coleophora perrhulipennella
- Coleophora persimplexella
- Coleophora peterseni
- Coleophora phaeocentra
- Coleophora phlomidella
- Coleophora phlomidis
- Coleophora physophorae
- Coleophora picardella
- Coleophora picticornis
- Coleophora pilicornis
- Coleophora pilion
- Coleophora pinii
- Coleophora pinkeri
- Coleophora platyphyllae
- Coleophora plicipunctella
- Coleophora plumbella
- Coleophora poecilella
- Coleophora pokrovkella
- Coleophora polemoniella
- Coleophora polonicella
- Coleophora polycarpaeae
- Coleophora pontica
- Coleophora portulacae
- Coleophora potentillae
- Coleophora praecipua
- Coleophora praecursella
- Coleophora pratella
- Coleophora preisseckeri
- Coleophora prepostera
- Coleophora presbytica
- Coleophora principiella
- Coleophora protecta
- Coleophora proterella
- Coleophora pruniella
- Coleophora prunifoliae
- Coleophora pseudociconiella
- Coleophora pseudodeviella
- Coleophora pseudodianthi
- Coleophora pseudodirectella
- Coleophora pseudoditella
- Coleophora pseudolinosyris
- Coleophora pseudolongicornella
- Coleophora pseudopalifera
- Coleophora pseudopoecilella
- Coleophora pseudorepentis
- Coleophora pseudosquamosella
- Coleophora pseudostepposa
- Coleophora pseudotrochilella
- Coleophora psychropa
- Coleophora ptarmicia
- Coleophora pterosparti
- Coleophora puberuloides
- Coleophora pulchricornis
- Coleophora pulchripennella
- Coleophora pulmonariella
- Coleophora punctulatella
- Coleophora purifica
- Coleophora pustulosa
- Coleophora pyrenaica
- Coleophora pyrrhulipennella
- Coleophora quadrifariella
- Coleophora quadrilineella
- Coleophora quadristraminella
- Coleophora quadristrigella
- Coleophora quadruplex
- Coleophora quercicola
- Coleophora querciella
- Coleophora qulikushella
- Coleophora rakosypennella
- Coleophora ramitella
- Coleophora ramosella
- Coleophora raphidon
- Coleophora ravillella
- Coleophora rebeli
- Coleophora rectilineella
- Coleophora rectimarginalis
- Coleophora recula
- Coleophora remizella
- Coleophora remotella
- Coleophora repentis
- Coleophora repestrella
- Coleophora resupina
- Coleophora retifera
- Coleophora retrodentella
- Coleophora rhabdophaeella
- Coleophora ribasella
- Coleophora riffelensis
- Coleophora riftella
- Coleophora ringoniella
- Coleophora romieuxi
- Coleophora rosacella
- Coleophora rosaefoliella
- Coleophora rosaevorella
- Coleophora rudella
- Coleophora rugosae
- Coleophora rupestrella
- Coleophora sabaea
- Coleophora sabina
- Coleophora sacramenta
- Coleophora safadella
- Coleophora salicivorella
- Coleophora salicorniae
- Coleophora salinella
- Coleophora salinoidella
- Coleophora salviella
- Coleophora samarensis
- Coleophora sanella
- Coleophora santolinella
- Coleophora saponariella
- Coleophora saratovi
- Coleophora sardiniae
- Coleophora sardocorsa
- Coleophora sarehma
- Coleophora satellitella
- Coleophora sattleri
- Coleophora saturatella
- Coleophora saudita
- Coleophora saxicolella
- Coleophora scabrida
- Coleophora scaleuta
- Coleophora scariphota
- Coleophora schibendyella
- Coleophora schmidti
- Coleophora schouteni
- Coleophora sclerisaccula
- Coleophora seguiella
- Coleophora semicinerea
- Coleophora seminella
- Coleophora septembra
- Coleophora sergiella
- Coleophora serinipennella
- Coleophora serpylletorum
- Coleophora serratella
- Coleophora serratulella
- Coleophora settarii
- Coleophora sexdentatella
- Coleophora shadeganensis
- Coleophora sibirica
- Coleophora sibiricella
- Coleophora siccifolia
- Coleophora silenella
- Coleophora silvestris
- Coleophora simulans
- Coleophora singreni
- Coleophora sirella
- Coleophora sisteronica
- Coleophora sitella
- Coleophora skanesella
- Coleophora sneeubergensis
- Coleophora sodae
- Coleophora soffneriella
- Coleophora sogdianae
- Coleophora solenella
- Coleophora solidaginella
- Coleophora solitariella
- Coleophora soriaella
- Coleophora spargospinella
- Coleophora sparsiatomatella
- Coleophora sparsiatomella
- Coleophora sparsipulvella
- Coleophora sparsipuncta
- Coleophora spartana
- Coleophora spinella
- Coleophora spiraeella
- Coleophora spiralis
- Coleophora spissicornis
- Coleophora spumosella
- Coleophora squalorella
- Coleophora squamella
- Coleophora squamosella
- Coleophora srnkai
- Coleophora stachi
- Coleophora stachydis
- Coleophora staehelinella
- Coleophora statherota
- Coleophora stegosaurus
- Coleophora stenidella
- Coleophora stenoptera
- Coleophora stepposa
- Coleophora sternipennella
- Coleophora stramentella
- Coleophora striatipennella
- Coleophora strigiferella
- Coleophora strigosella
- Coleophora striolatella
- Coleophora struella
- Coleophora strutiella
- Coleophora stuposa
- Coleophora suaedae
- Coleophora suaedicola
- Coleophora suaediphaga
- Coleophora suavis
- Coleophora subapicis
- Coleophora subgilva
- Coleophora subnivea
- Coleophora subsolana
- Coleophora subtremula
- Coleophora subula
- Coleophora succursella
- Coleophora sudanella
- Coleophora sumptuosa
- Coleophora superlonga
- Coleophora supinella
- Coleophora surniella
- Coleophora svenssoni
- Coleophora swartbergensis
- Coleophora swaziella
- Coleophora sylvaticella
- Coleophora symmicta
- Coleophora symphistropha
- Coleophora synchrocera
- Coleophora syriaca
- Coleophora tacera
- Coleophora tadzhikiella
- Coleophora taeniipennella
- Coleophora taizensis
- Coleophora talynella
- Coleophora tamara
- Coleophora tamesis
- Coleophora tanaceti
- Coleophora tanitella
- Coleophora taurica
- Coleophora tauricella
- Coleophora taygeti
- Coleophora tecta
- Coleophora teheranella
- Coleophora telonica
- Coleophora teneriffella
- Coleophora tenuis
- Coleophora terebrans
- Coleophora teredo
- Coleophora teregnathella
- Coleophora terenaula
- Coleophora tetrodonta
- Coleophora texanella
- Coleophora textoria
- Coleophora therinella
- Coleophora thulea
- Coleophora thurneri
- Coleophora thymi
- Coleophora tigris
- Coleophora tiliaefoliella
- Coleophora tolensis
- Coleophora tolli
- Coleophora tornata
- Coleophora toxotis
- Coleophora tractella
- Coleophora traugotti
- Coleophora tremula
- Coleophora treskaensis
- Coleophora trichopterella
- Coleophora tricolor
- Coleophora tridentifera
- Coleophora trientella
- Coleophora trifariella
- Coleophora triflua
- Coleophora trifolii
- Coleophora trifolii species-group
- Coleophora trigeminella
- Coleophora trilineella
- Coleophora tringella
- Coleophora triplicis
- Coleophora tripolitana
- Coleophora trochilella
- Coleophora troglodytella
- Coleophora tscherkesi
- Coleophora tshiligella
- Coleophora tundrosa
- Coleophora turbatella
- Coleophora turolella
- Coleophora tuvensis
- Coleophora tyrrhaenica
- Coleophora ucrainae
- Coleophora ugabensis
- Coleophora uliginosella
- Coleophora ulmivorella
- Coleophora umbratica
- Coleophora unicrenata
- Coleophora uniformis
- Coleophora unigenella
- Coleophora uniphalli
- Coleophora unipunctella
- Coleophora univittella
- Coleophora uralensis
- Coleophora vacciniella
- Coleophora vacciniivorella
- Coleophora vagans
- Coleophora valesianella
- Coleophora vancouverensis
- Coleophora vanderwolfi
- Coleophora vansoni
- Coleophora vardarella
- Coleophora varensis
- Coleophora variicornis
- Coleophora varilimosipennella
- Coleophora varnella
- Coleophora ventadelsolella
- Coleophora venusta
- Coleophora verbljushkella
- Coleophora vermiculatella
- Coleophora vernoniaeella
- Coleophora versurella
- Coleophora vestalella
- Coleophora vestianella
- Coleophora vibicella
- Coleophora vibicigerella
- Coleophora viburniella
- Coleophora vicinella
- Coleophora viettella
- Coleophora viminetella
- Coleophora violacea
- Coleophora virgatella
- Coleophora virgaureae
- Coleophora viridicuprella
- Coleophora viscidiflorella
- Coleophora vitisella
- Coleophora vivesella
- Coleophora vulnerariae
- Coleophora vulpecula
- Coleophora weymarni
- Coleophora wiltshirei
- Coleophora wockeella
- Coleophora wolschrijni
- Coleophora wyethiae
- Coleophora xanthochlora
- Coleophora xanthoptera
- Coleophora xyridella
- Coleophora yemenita
- Coleophora yomogiella
- Coleophora yuzhongensis
- Coleophora zagella
- Coleophora zelleriella
- Coleophora zernyi
- Coleophora zhusguni
- Coleophora zukowskii
- Coleophora zygodon
- Coleophora zygotaenia
- Coleophora zymotica
- Simulans
























































































