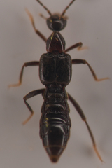
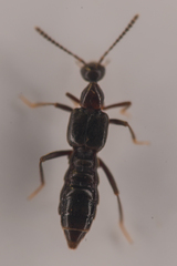
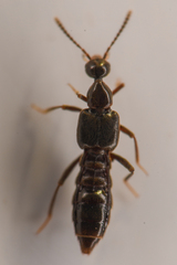
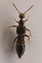
Colusa: taxon details and analytics
- Domain
- Kingdom
- Animalia
- Phylum
- Arthropoda
- Class
- Insecta
- Order
- Coleoptera
- Family
- Staphylinidae
- Genus
- Colusa
- Species
- Scientific Name
- Colusa
Images from inaturalist.org observations:
We recommend you sign up for this excellent, free service.
Parent Taxon
Sibling Taxa
- Abrophaena
- Acrocyusa
- Alfocalea
- Ambodina
- Anocalea
- Aphytopus
- Austrocalea
- Betocalea
- Blepharhymenus
- Brouniana
- Calodera
- Cephalocousya
- Colle
- Colusa
- Cousya
- Decusa
- Dexiogyia
- Dinarda
- Dinusa
- Echidnoglossa
- Euryalea
- Euthorax
- Feluva
- Gastrolamprusa
- Gastrorhopalus
- Gnathusa
- Gnypetosoma
- Homoeusa
- Hygropetrophila
- Hygropora
- Ischnoglossa
- Kortomenus
- Makara
- Marecon
- Mecrona
- Megocalea
- Meoticina
- Metocalea
- Mniusa
- Neodoxa
- Neozelandusa
- Ocalea
- Oxypodina
- Paraphytopus
- Pentanota
- Polylobus
- Stichoglossa
- Sytus
- Tectusa
- Xenomma
- Zoosetha












