Coptosoma xanthogramma: taxon details and analytics
- Domain
- Kingdom
- Animalia
- Phylum
- Arthropoda
- Class
- Insecta
- Order
- Hemiptera
- Family
- Plataspidae
- Genus
- Coptosoma
- Species
- Coptosoma xanthogramma
- Scientific Name
- Coptosoma xanthogramma
Summary description from Wikipedia:
Coptosoma xanthogramma
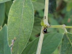
Coptosoma xanthogramma is a species of true bugs belonging to the family Plataspidae and sub-order Heteroptera. It is commonly known as the black stink bug.
It is endemic to Asia and has been found on Luzon in the Philippines, Oahu in Hawaii, Guam and Iwo Jima, Volcano Islands. It is an invasive pest, feeding on legumes and similar plants.
...Coptosoma xanthogramma in languages:
- English
- Black Stink Bug
Images from inaturalist.org observations:
We recommend you sign up for this excellent, free service.
Parent Taxon
Sibling Taxa
- Coptosoma affine
- Coptosoma atriceps
- Coptosoma bifarium
- Coptosoma capitatum
- Coptosoma confusa
- Coptosoma cornutum
- Coptosoma costale
- Coptosoma davidi
- Coptosoma dianqianum
- Coptosoma flavidum
- Coptosoma japonicum
- Coptosoma lodosi
- Coptosoma marginellum
- Coptosoma maura
- Coptosoma mucronatum
- Coptosoma nigrellum
- Coptosoma nigriceps
- Coptosoma notabilis
- Coptosoma nubilum
- Coptosoma oenderi
- Coptosoma pardalinum
- Coptosoma parvipictum
- Coptosoma pictulum
- Coptosoma punctiventris
- Coptosoma putoni
- Coptosoma raunoi
- Coptosoma rufiplaga
- Coptosoma sandahli
- Coptosoma scutellatum
- Coptosoma semiflavum
- Coptosoma variegatum
- Coptosoma xanthogramma























































































































































