Coriomeris denticulatus: taxon details and analytics

Domain
Kingdom
Animalia
Phylum
Arthropoda
Class
Insecta
Order
Hemiptera
Family
Coreidae
Genus
Coriomeris
Species
Coriomeris denticulatus
Scientific Name
Coriomeris denticulatus

Summary description from Wikipedia:

Coriomeris denticulatus

Coriomeris denticulatus est une espèce d'insectes hémiptères du sous-ordre des hétéroptères (punaises), de la famille des Coreidae, de la sous-famille des Pseudophloeinae, et de la tribu des Pseudophloeini.

...
 

Coriomeris denticulatus in languages:

Bokmål
tornkanttege
Czech
vroubenka trnorohá
Danish
Langtornet randtæge
Dutch
Bruine getande randwants
English
Denticulate Leatherbug
Finnish
palkohammaslude
German
Rotbrauner Stachler

Images from inaturalist.org observations:

We recommend you sign up for this excellent, free service.

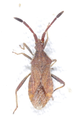
Coriomeris denticulatus
©danamihaimileazachi, some rights reserved (CC-BY-NC)
Coriomeris denticulatus
©patricklm35, some rights reserved (CC-BY-NC)
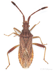
Coriomeris denticulatus
©André MIQUET, some rights reserved (CC-BY-NC)
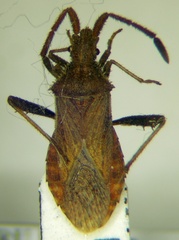
Coriomeris denticulatus
©Сергей Квашнин, some rights reserved (CC-BY-NC)
Coriomeris denticulatus
©le_biologiste, some rights reserved (CC-BY-NC)
Coriomeris denticulatus
©ceffx, some rights reserved (CC-BY-NC)
Coriomeris denticulatus
©danamihaimileazachi, some rights reserved (CC-BY-NC)
Coriomeris denticulatus
©danamihaimileazachi, some rights reserved (CC-BY-NC)
Coriomeris denticulatus
©Karsten Mody, some rights reserved (CC-BY-NC)
Coriomeris denticulatus
©Karsten Mody, some rights reserved (CC-BY-NC)
Coriomeris denticulatus
©Karsten Mody, some rights reserved (CC-BY-NC)
Coriomeris denticulatus
©grossalin, some rights reserved (CC-BY-NC)
Coriomeris denticulatus
©grossalin, some rights reserved (CC-BY-NC)
Coriomeris denticulatus
©Arian, some rights reserved (CC-BY-NC)
Coriomeris denticulatus
©Arian, some rights reserved (CC-BY-NC)
Coriomeris denticulatus
©Gábor Keresztes, some rights reserved (CC-BY-NC)
Coriomeris denticulatus
©Per Hoffmann Olsen, some rights reserved (CC-BY-NC)
Coriomeris denticulatus
©rudyclaeys, some rights reserved (CC-BY-NC)
Coriomeris denticulatus
©patricklm35, some rights reserved (CC-BY-NC)
Coriomeris denticulatus
©patricklm35, some rights reserved (CC-BY-NC)
Coriomeris denticulatus
©patricklm35, some rights reserved (CC-BY-NC)
Coriomeris denticulatus
©Lola Smirnova, some rights reserved (CC-BY-NC)
Coriomeris denticulatus
©André MIQUET, some rights reserved (CC-BY-NC)
Coriomeris denticulatus
©André MIQUET, some rights reserved (CC-BY-NC)
Coriomeris denticulatus
©macrohunter_ls, some rights reserved (CC-BY-NC)
Coriomeris denticulatus
©macrohunter_ls, some rights reserved (CC-BY-NC)
Coriomeris denticulatus
©brunoparisotto, some rights reserved (CC-BY-NC)
Coriomeris denticulatus
©brunoparisotto, some rights reserved (CC-BY-NC)
Coriomeris denticulatus
©Gerrit Öhm, some rights reserved (CC-BY-NC)
Coriomeris denticulatus
©Gerrit Öhm, some rights reserved (CC-BY-NC)
Coriomeris denticulatus
©Gerrit Öhm, some rights reserved (CC-BY-NC)
Coriomeris denticulatus
©Gerrit Öhm, some rights reserved (CC-BY-NC)
Coriomeris denticulatus
©André MIQUET, some rights reserved (CC-BY-NC)
Coriomeris denticulatus
©Gábor Keresztes, some rights reserved (CC-BY-NC)
Coriomeris denticulatus
©Gábor Keresztes, some rights reserved (CC-BY-NC)
Coriomeris denticulatus
©Gábor Keresztes, some rights reserved (CC-BY-NC)
Coriomeris denticulatus
©Gábor Keresztes, some rights reserved (CC-BY-NC)
Coriomeris denticulatus
©Alejandro Ocampo, some rights reserved (CC-BY-NC)
Coriomeris denticulatus
©Alejandro Ocampo, some rights reserved (CC-BY-NC)
Coriomeris denticulatus
©Alejandro Ocampo, some rights reserved (CC-BY-NC)
Coriomeris denticulatus
©Alejandro Ocampo, some rights reserved (CC-BY-NC)
Coriomeris denticulatus
©Alejandro Ocampo, some rights reserved (CC-BY-NC)
Coriomeris denticulatus
©Alejandro Ocampo, some rights reserved (CC-BY-NC)
Coriomeris denticulatus
©Pascal Dubois, some rights reserved (CC-BY-NC)
Coriomeris denticulatus
©Guglielmo Vacirca, some rights reserved (CC-BY-NC)
Coriomeris denticulatus
©Guglielmo Vacirca, some rights reserved (CC-BY-NC)
Coriomeris denticulatus
©Guglielmo Vacirca, some rights reserved (CC-BY-NC)
Coriomeris denticulatus
©Romain Speller, some rights reserved (CC-BY-NC)
Coriomeris denticulatus
©Romain Speller, some rights reserved (CC-BY-NC)
Coriomeris denticulatus
©Peter Gabler, some rights reserved (CC0)
Coriomeris denticulatus
©Felix Riegel, some rights reserved (CC-BY-NC)
Coriomeris denticulatus
©Felix Riegel, some rights reserved (CC-BY-NC)
Coriomeris denticulatus
©Felix Riegel, some rights reserved (CC-BY-NC)
Coriomeris denticulatus
©Felix Riegel, some rights reserved (CC-BY-NC)
Coriomeris denticulatus
©Walter Wimmer, some rights reserved (CC-BY-NC)
Coriomeris denticulatus
©Peter Gabler, some rights reserved (CC0)
Coriomeris denticulatus
©Peter Gabler, some rights reserved (CC0)
Coriomeris denticulatus
©Peter Gabler, some rights reserved (CC0)
Coriomeris denticulatus
©Peter Gabler, some rights reserved (CC0)
Coriomeris denticulatus
©Felix Riegel, some rights reserved (CC-BY-NC)
Coriomeris denticulatus
©Felix Riegel, some rights reserved (CC-BY-NC)
Coriomeris denticulatus
©Felix Riegel, some rights reserved (CC-BY-NC)
Coriomeris denticulatus
©Felix Riegel, some rights reserved (CC-BY-NC)
Coriomeris denticulatus
©Ahmed Mujčinović, some rights reserved (CC-BY-NC-SA)
Coriomeris denticulatus
©Barry Walter, some rights reserved (CC-BY)
Coriomeris denticulatus
©Klaus Dühr, some rights reserved (CC-BY-NC)
Coriomeris denticulatus
©Alexis, some rights reserved (CC-BY)
Coriomeris denticulatus
©mtalens, some rights reserved (CC-BY-NC)
Coriomeris denticulatus
©Konstantin Grebennikov, some rights reserved (CC-BY)
Coriomeris denticulatus
©Konstantin Grebennikov, some rights reserved (CC-BY)
Coriomeris denticulatus
©Konstantin Grebennikov, some rights reserved (CC-BY)
Coriomeris denticulatus
©Konstantin Grebennikov, some rights reserved (CC-BY)
Coriomeris denticulatus
©Konstantin Grebennikov, some rights reserved (CC-BY)
Coriomeris denticulatus
©Konstantin Grebennikov, some rights reserved (CC-BY)
Coriomeris denticulatus
©Konstantin Grebennikov, some rights reserved (CC-BY)
Coriomeris denticulatus
©Konstantin Grebennikov, some rights reserved (CC-BY)
Coriomeris denticulatus
©Konstantin Grebennikov, some rights reserved (CC-BY)
Coriomeris denticulatus
©Konstantin Grebennikov, some rights reserved (CC-BY)
Coriomeris denticulatus
©Konstantin Grebennikov, some rights reserved (CC-BY)
Coriomeris denticulatus
©Konstantin Grebennikov, some rights reserved (CC-BY)
Coriomeris denticulatus
©Konstantin Grebennikov, some rights reserved (CC-BY)
Coriomeris denticulatus
©Konstantin Grebennikov, some rights reserved (CC-BY)
Coriomeris denticulatus
©Konstantin Grebennikov, some rights reserved (CC-BY)
Coriomeris denticulatus
©Konstantin Grebennikov, some rights reserved (CC-BY)
Coriomeris denticulatus
©Konstantin Grebennikov, some rights reserved (CC-BY)
Coriomeris denticulatus
©Konstantin Grebennikov, some rights reserved (CC-BY)
Coriomeris denticulatus
©Konstantin Grebennikov, some rights reserved (CC-BY)
Coriomeris denticulatus
©Konstantin Grebennikov, some rights reserved (CC-BY)
Coriomeris denticulatus
©Konstantin Grebennikov, some rights reserved (CC-BY)
Coriomeris denticulatus
©Konstantin Grebennikov, some rights reserved (CC-BY)
Coriomeris denticulatus
©Konstantin Grebennikov, some rights reserved (CC-BY)
Coriomeris denticulatus
©Konstantin Grebennikov, some rights reserved (CC-BY)
Coriomeris denticulatus
©Konstantin Grebennikov, some rights reserved (CC-BY)
Coriomeris denticulatus
©Konstantin Grebennikov, some rights reserved (CC-BY)
Coriomeris denticulatus
©Konstantin Grebennikov, some rights reserved (CC-BY)
Coriomeris denticulatus
©Konstantin Grebennikov, some rights reserved (CC-BY)
Coriomeris denticulatus
©Konstantin Grebennikov, some rights reserved (CC-BY)
Coriomeris denticulatus
©Konstantin Grebennikov, some rights reserved (CC-BY)
Coriomeris denticulatus
©Konstantin Grebennikov, some rights reserved (CC-BY)
Coriomeris denticulatus
©Konstantin Grebennikov, some rights reserved (CC-BY)
Coriomeris denticulatus
©cpu, some rights reserved (CC-BY-NC)
Coriomeris denticulatus
©cpu, some rights reserved (CC-BY-NC)
Coriomeris denticulatus
©josefwirth, some rights reserved (CC-BY-NC)
Coriomeris denticulatus
©joaotomas, some rights reserved (CC-BY-NC)
Coriomeris denticulatus
©Konstantin Grebennikov, some rights reserved (CC-BY)
Coriomeris denticulatus
©Konstantin Grebennikov, some rights reserved (CC-BY)
Coriomeris denticulatus
©Konstantin Grebennikov, some rights reserved (CC-BY)
Coriomeris denticulatus
©Konstantin Grebennikov, some rights reserved (CC-BY)
Coriomeris denticulatus
©Konstantin Grebennikov, some rights reserved (CC-BY)
Coriomeris denticulatus
©Konstantin Grebennikov, some rights reserved (CC-BY)
Coriomeris denticulatus
©macrohunter_ls, some rights reserved (CC-BY-NC)
Coriomeris denticulatus
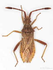
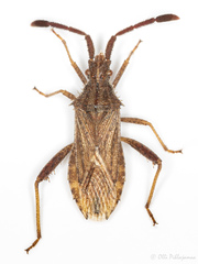
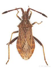
©Olli Pihlajamaa, some rights reserved (CC-BY-NC)
Coriomeris denticulatus
©Olli Pihlajamaa, some rights reserved (CC-BY-NC)
Coriomeris denticulatus
©Peter Preus, some rights reserved (CC-BY-NC-ND)
Coriomeris denticulatus
©Olli Pihlajamaa, some rights reserved (CC-BY-NC)
Coriomeris denticulatus
©Olli Pihlajamaa, some rights reserved (CC-BY-NC)
Coriomeris denticulatus
©Olli Pihlajamaa, some rights reserved (CC-BY-NC)
Coriomeris denticulatus
©Olli Pihlajamaa, some rights reserved (CC-BY-NC)
Coriomeris denticulatus
©Olli Pihlajamaa, some rights reserved (CC-BY-NC)
Coriomeris denticulatus
©Cristobal Jimenez, some rights reserved (CC-BY-NC-ND)
Coriomeris denticulatus
©auricula_vermis, some rights reserved (CC-BY-NC)
Coriomeris denticulatus
©Florence Matutini, some rights reserved (CC-BY-NC)
Coriomeris denticulatus
©Florence Matutini, some rights reserved (CC-BY-NC)
Coriomeris denticulatus
©Yves Bas, some rights reserved (CC-BY)
Coriomeris denticulatus
©Yves Bas, some rights reserved (CC-BY)
Coriomeris denticulatus
©heathen123, some rights reserved (CC-BY-NC)
Coriomeris denticulatus
©neuspip, some rights reserved (CC-BY-NC)
Coriomeris denticulatus
©thephoxinus, some rights reserved (CC-BY-NC)
Coriomeris denticulatus
©Mafa Bauçà, some rights reserved (CC-BY-NC)
Coriomeris denticulatus
©Mafa Bauçà, some rights reserved (CC-BY-NC)
Coriomeris denticulatus
©macrohunter_ls, some rights reserved (CC-BY-NC)
Coriomeris denticulatus
©glandarius, some rights reserved (CC-BY-NC)
Coriomeris denticulatus
©Konrad Zobel, some rights reserved (CC-BY-NC-ND)
Coriomeris denticulatus
©Jan Becker, some rights reserved (CC-BY-NC)
Coriomeris denticulatus
©Peter Gabler, some rights reserved (CC0)
Coriomeris denticulatus
©Павел Несмеянов, some rights reserved (CC-BY-NC)
Coriomeris denticulatus
©dbowler, some rights reserved (CC-BY-NC)
Coriomeris denticulatus
©Will George, some rights reserved (CC-BY-NC)
Coriomeris denticulatus
©Rafael, some rights reserved (CC-BY-NC)
Coriomeris denticulatus
©Rafael, some rights reserved (CC-BY-NC)
Coriomeris denticulatus
©Martin Galli, some rights reserved (CC-BY-NC)
Coriomeris denticulatus
©macrohunter_ls, some rights reserved (CC-BY-NC)
Coriomeris denticulatus
©Gerrit Öhm, some rights reserved (CC-BY-NC)
Coriomeris denticulatus
©Gerrit Öhm, some rights reserved (CC-BY-NC)
Coriomeris denticulatus
©Gerrit Öhm, some rights reserved (CC-BY-NC)
Coriomeris denticulatus
©danamihaimileazachi, some rights reserved (CC-BY-NC)
Coriomeris denticulatus
©danamihaimileazachi, some rights reserved (CC-BY-NC)
Coriomeris denticulatus
©danamihaimileazachi, some rights reserved (CC-BY-NC)
Coriomeris denticulatus
©danamihaimileazachi, some rights reserved (CC-BY-NC)
Coriomeris denticulatus
©danamihaimileazachi, some rights reserved (CC-BY-NC)
Coriomeris denticulatus
©danamihaimileazachi, some rights reserved (CC-BY-NC)
Coriomeris denticulatus
©danamihaimileazachi, some rights reserved (CC-BY-NC)
Coriomeris denticulatus
©danamihaimileazachi, some rights reserved (CC-BY-NC)
Coriomeris denticulatus
©danamihaimileazachi, some rights reserved (CC-BY-NC)
Coriomeris denticulatus
©danamihaimileazachi, some rights reserved (CC-BY-NC)
Coriomeris denticulatus
©danamihaimileazachi, some rights reserved (CC-BY-NC)
Coriomeris denticulatus
©danamihaimileazachi, some rights reserved (CC-BY-NC)
Coriomeris denticulatus
©danamihaimileazachi, some rights reserved (CC-BY-NC)
Coriomeris denticulatus
©danamihaimileazachi, some rights reserved (CC-BY-NC)
Coriomeris denticulatus
©danamihaimileazachi, some rights reserved (CC-BY-NC)