Cortodera subpilosa: taxon details and analytics
- Domain
- Kingdom
- Animalia
- Phylum
- Arthropoda
- Class
- Insecta
- Order
- Coleoptera
- Family
- Cerambycidae
- Genus
- Cortodera
- Species
- Cortodera subpilosa
- Scientific Name
- Cortodera subpilosa
Summary description from Wikipedia:
Cortodera subpilosa
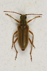
Cortodera subpilosa, the western mountain flower longhorn, is a species of flower long-horned beetle in the family Cerambycidae. It is found in the northwestern United States and southwestern Canada. Adults are dark brown to black, 7 to 13 mm in size, and are covered with fine hair.
...Images from inaturalist.org observations:
We recommend you sign up for this excellent, free service.
Parent Taxon
Sibling Taxa
- Cortodera alpina
- Cortodera analis
- Cortodera ciliata
- Cortodera colchica
- Cortodera coniferae
- Cortodera cubitalis
- Cortodera falsa
- Cortodera femorata
- Cortodera flavimana
- Cortodera goriensis
- Cortodera holosericea
- Cortodera humeralis
- Cortodera impunctata
- Cortodera khatchikovi
- Cortodera kiesenwetteri
- Cortodera kochi
- Cortodera longicornis
- Cortodera militaris
- Cortodera nitidipennis
- Cortodera pumila
- Cortodera reitteri
- Cortodera robusta
- Cortodera ruthena
- Cortodera sibirica
- Cortodera spuria
- Cortodera stolida
- Cortodera subpilosa
- Cortodera tibialis
- Cortodera turgaica
- Cortodera ussuriensis
- Cortodera villosa




























