Crambus leachellus: taxon details and analytics
- Domain
- Kingdom
- Animalia
- Phylum
- Arthropoda
- Class
- Insecta
- Order
- Lepidoptera
- Family
- Crambidae
- Genus
- Crambus
- Species
- Crambus leachellus
- Scientific Name
- Crambus leachellus
Summary description from Wikipedia:
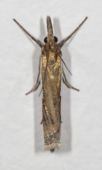
Crambus leachellus
Crambus leachellus, or Leach's grass-veneer, is a moth in the family Crambidae. It was described by Johann Leopold Theodor Friedrich Zincken in 1818. It is found in North America, where it has been recorded from Ontario and Maryland to Florida, west to California and Oregon. The habitat consists of grasslands and meadows.
The wingspan is 25–27 mm. Adults are on wing from May to September in two to four generations per year.
The larvae feed on grasses.
...Crambus leachellus in languages:
- English
- Leach's Grass-veneer
Images from inaturalist.org observations:
We recommend you sign up for this excellent, free service.
Parent Taxon
Sibling Taxa
- Crambus acyperas
- Crambus agitatellus
- Crambus ainslieellus
- Crambus ainsliellus
- Crambus albellus
- Crambus albifrons
- Crambus alexandrus
- Crambus alienellus
- Crambus angustexon
- Crambus archimedes
- Crambus argyrophorus
- Crambus aristophanes
- Crambus arnaudiae
- Crambus attis
- Crambus averroellus
- Crambus awemellus
- Crambus bachi
- Crambus bellissimus
- Crambus berliozi
- Crambus bidens
- Crambus bigelovi
- Crambus boislamberti
- Crambus brachiiferus
- Crambus braunellus
- Crambus brunneisquamatus
- Crambus caligula
- Crambus claviger
- Crambus coccophthorus
- Crambus cockleellus
- Crambus cormieri
- Crambus cypridalis
- Crambus cyrilellus
- Crambus cyrnellus
- Crambus daeckellus
- Crambus dedalus
- Crambus descarpentriesi
- Crambus dianiphalis
- Crambus diarhabdellus
- Crambus dimidiatellus
- Crambus discludellus
- Crambus ellipticellus
- Crambus elongatus
- Crambus erechtheus
- Crambus ericella
- Crambus erostratus
- Crambus eurypides
- Crambus frescobaldii
- Crambus gausapalis
- Crambus girardellus
- Crambus guerini
- Crambus hachimantaiensis
- Crambus hamella
- Crambus hampsoni
- Crambus harrisi
- Crambus hastifer
- Crambus heringiellus
- Crambus humidellus
- Crambus icarus
- Crambus isshiki
- Crambus johnsoni
- Crambus jupiter
- Crambus kazitaellus
- Crambus kumatakellus
- Crambus kuzakaiensis
- Crambus lacteella
- Crambus lacteellus
- Crambus laqueatellus
- Crambus lathoniellus
- Crambus leachellus
- Crambus leuconotus
- Crambus leucoschalis
- Crambus lyonsellus
- Crambus mesombrellus
- Crambus microstrigatus
- Crambus midas
- Crambus milvellus
- Crambus moeschleralis
- Crambus monostictus
- Crambus mozarti
- Crambus multilinellus
- Crambus narcissus
- Crambus nephretete
- Crambus netuncus
- Crambus neurellus
- Crambus nigriscriptellus
- Crambus nigrivarialis
- Crambus niitakaensis
- Crambus obscurefasciellus
- Crambus occidentalis
- Crambus okinawanus
- Crambus ovidius
- Crambus palustrellus
- Crambus paris
- Crambus pascuella
- Crambus pavidellus
- Crambus perlella
- Crambus perspicuus
- Crambus praefectellus
- Crambus pratella
- Crambus prometheus
- Crambus proteus
- Crambus pseudargyrophorus
- Crambus puccinii
- Crambus pythagoras
- Crambus quinquareatus
- Crambus reducta
- Crambus richteri
- Crambus rickseckerellus
- Crambus rossinii
- Crambus saltuellus
- Crambus sanfordellus
- Crambus sargentellus
- Crambus satrapellus
- Crambus sebrus
- Crambus sectitermina
- Crambus sectiterminus
- Crambus sibiricus
- Crambus silvella
- Crambus silvellus
- Crambus sinicolellus
- Crambus sjostedti
- Crambus sparselloides
- Crambus sparsellus
- Crambus sperryellus
- Crambus sudanicola
- Crambus tenuis
- Crambus tenuistriga
- Crambus tessellatus
- Crambus themistocles
- Crambus thersites
- Crambus theseus
- Crambus tomanaellus
- Crambus trichusalis
- Crambus tutillus
- Crambus uliginosellus
- Crambus uniformella
- Crambus unistriatellus
- Crambus vagistrigellus
- Crambus varii
- Crambus viettellus
- Crambus virgatellus
- Crambus vittiterminellus
- Crambus vulcanus
- Crambus vulgivagellus
- Crambus watsonellus
- Crambus whitmerellus
- Crambus xebus
- Crambus xonorus
- Crambus youngellus
- Crambus zelator































































































































































