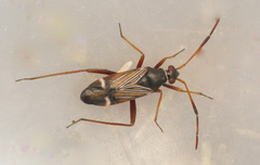
Cremnocephalus albolineatus: taxon details and analytics
- Domain
- Kingdom
- Animalia
- Phylum
- Arthropoda
- Class
- Insecta
- Order
- Hemiptera
- Family
- Miridae
- Genus
- Cremnocephalus
- Species
- Cremnocephalus albolineatus
- Scientific Name
- Cremnocephalus albolineatus
Cremnocephalus albolineatus in languages:
- Dutch
- Witbandwants
- Finnish
- seepralude
Images from inaturalist.org observations:
We recommend you sign up for this excellent, free service.








